Sold

Diverse Wooded Parcel Adjoining Lincoln County Forest. Lot 1

Acreage

19.83 ±

County

Lincoln

SOLD

Address W2800 Yanda Avenue Gleason, WI 54435

View on Google Maps

Description

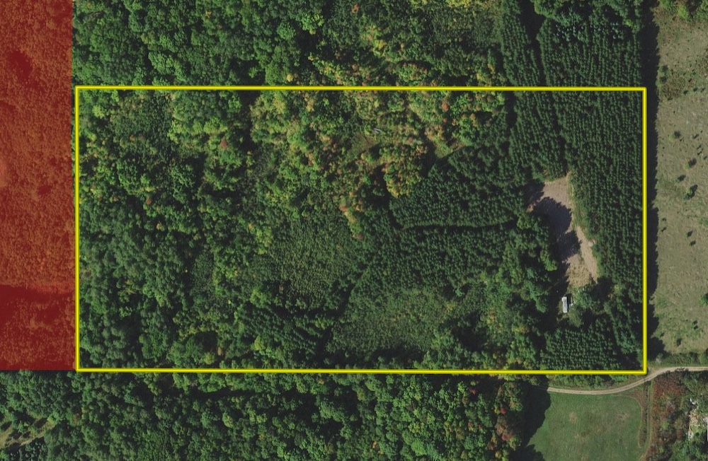
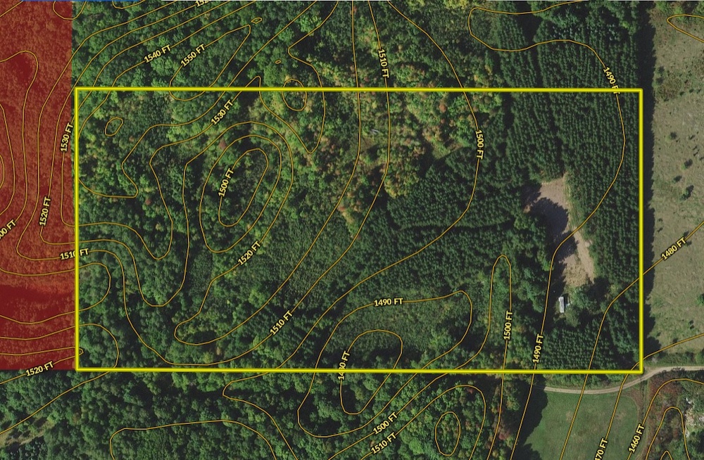
Fantastic opportunity to own a beautiful wooded parcel bordering thousands of acres of Lincoln County Forest! A mix of pine, hardwoods, and young forest growth covers the rolling topography of this gorgeous tract. The adjoining Lincoln County Forest, also known as the Underdown Recreation Area, offers an abundance of year-round recreation opportunities including hunting, hiking, horseback riding, cross country skiing, snowshoeing, and mountain biking. Nearby you’ll also find several lakes, the renowned trout waters of the Prairie River, as well as ATV and snowmobile trails. This parcel already has a clearing in place along with some trails and power on site. MFL closed for low taxes. Additional land available. You don’t want to miss out on this opportunity. Call Land Specialist Luke Gliniecki today before this one is gone!

Details

  • Borders thousands of acres of Lincoln County Forest
  • Rolling topography
  • Mix of pine, hardwoods, and young forest growth
  • Clearing and trails in place
  • Power on site
  • MFL closed for low taxes
  • Additional land available

Summary

Feeds

Lands of America

Roads

Road Access

Land Type

Hunting and Recreational, Timberland

Wild Game

Upland Game, Small Game, Big Game

Land Details

Timber, Enrolled in Government Program

Road Surface

Gravel

Property Type

Recreational Land, Timberland, Hunting Land

Road Frontage

Township Road

Nearby Features

Public Hunting, Public Fishing

Government Programs

Managed Forest Land (MFL)

Improvements/Features

Small Game, Big Game, Upland Game, Trail Network

Activities on Property

Hunting, Hiking, ATV Riding, Camping, Biking, Horseback Riding, Family Activities

Land and Farm Property Types

Land - Hunting, Land - Recreational, Timberland - Natural

Other Property Details

Coordinates

45.294905, -89.565219

Annual Taxes

$190

Sold Property

For more information or to see additional properties currently for sale see Luke Gliniecki's listings.

Nearby Related Properties


For Sale
$729,000 7.09 acres ±
Lincoln County • Tomahawk, WI 54487
For Sale
$1,104,000 603.76 acres ±
Price County • Brantwood, WI 54513
For Sale
$95,000 91.6 acres ±
Taylor County • Medford, WI 54451
For Sale
$35,000 0.56 acres ±
Price County • Ogema, WI 54459
For Sale
$70,000 1.12 acres ±
Price County • Ogema, WI 54459
For Sale
$769,000 8.83 acres ±
Vilas County • Conover, WI 54519
For Sale
$499,000 13.5 acres ±
Forest County • Laona, WI 54541
For Sale
$49,000 5.2 acres ±
Forest County • Laona, WI 54541

Be Part of a Thriving Land Community!

Get the same expert advice, property strategies, and land management tips that thousands of landowners trust. Subscribe now and stay ahead in the market.