Sold

Prime Hunting Tract Extensively Developed For Whitetails

Acreage

20 ±

County

Marathon

SOLD

Address Off Grass Creek Lane Athens, WI 54411

View on Google Maps

Description

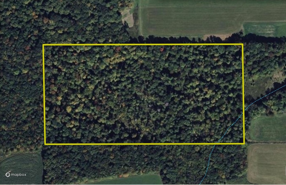
Looking for a prime hunting tract that is all set up and ready for you to hunt? Look no further! An extensive amount of work has been done to develop this property into a premium whitetail hunting tract. Food plots, trails, stands, apple trees and a water hole have all been established so it is ready for you to enjoy. Look through the numerous trail camera pictures and it quickly becomes apparent that this property is a whitetail hotspot. Aerial imagery reveals that this property is also a major funnel for deer movement due to how it is situated between several farm fields. The land consists of gently rolling hardwood timber with mature hard maple, scattered hemlocks, and a creek water source for wildlife. Taxes are low with 19 acres+/- enrolled in MFL closed through 2029 with no cuts due for the remainder of the program term. Contact Land Specialist Luke Gliniecki today to schedule a showing of this prime hunting tract before it’s gone!

Details

  • Taxes: $222.66
  • Extensively developed for hunting whitetails
  • Food plots, stands, trails, apple trees, and a water hole
  • Gently rolling hardwood timber
  • Creek
  • 19 acres+/- in MFL closed through 2029 with no cuts due

Summary

Land Type

Hunting and Recreational, Waterfront, Timberland

Wild Game

Upland Game, Small Game, Big Game

Waterfront

Creek

Land Details

Timber, Enrolled in Government Program

Road Surface

Dirt

Property Type

Recreational Land, Timberland, Hunting Land

Government Programs

Managed Forest Land (MFL)

Improvements/Features

Small Game, Big Game, Upland Game, Creek/Spring, Food Plot, Tree Stands/Blinds, Trail Network

Activities on Property

Hunting, Hiking, ATV Riding

Land and Farm Property Types

Land - Hunting, Land - Recreational, Timberland - Natural

Recent Property Improvements

Food plot, Trail network, Tree stand/Blinds

Other Property Details

Coordinates

45.052993, -89.931703

Annual Taxes

$222

Sold Property

For more information or to see additional properties currently for sale see Luke Gliniecki's listings.

Nearby Related Properties


For Sale
$95,000 91.6 acres ±
Taylor County • Medford, WI 54451
For Sale
$729,000 7.09 acres ±
Lincoln County • Tomahawk, WI 54487
For Sale
$70,000 1.12 acres ±
Price County • Ogema, WI 54459
For Sale
$35,000 0.56 acres ±
Price County • Ogema, WI 54459
For Sale
$1,104,000 603.76 acres ±
Price County • Brantwood, WI 54513
For Sale
$399,000 103.21 acres ±
Wood County • Pittsville, WI 54466
For Sale
$1,292,000 305.25 acres ±
Taylor County • Gilman, WI 54433
For Sale
$2,499,000 611 acres ±
Taylor County • Gilman, WI 54433

Be Part of a Thriving Land Community!

Get the same expert advice, property strategies, and land management tips that thousands of landowners trust. Subscribe now and stay ahead in the market.