Sold

Diverse Tillable And Hunting Tract Near Peshtigo WI

Acreage

35.44 ±

County

Marinette

SOLD

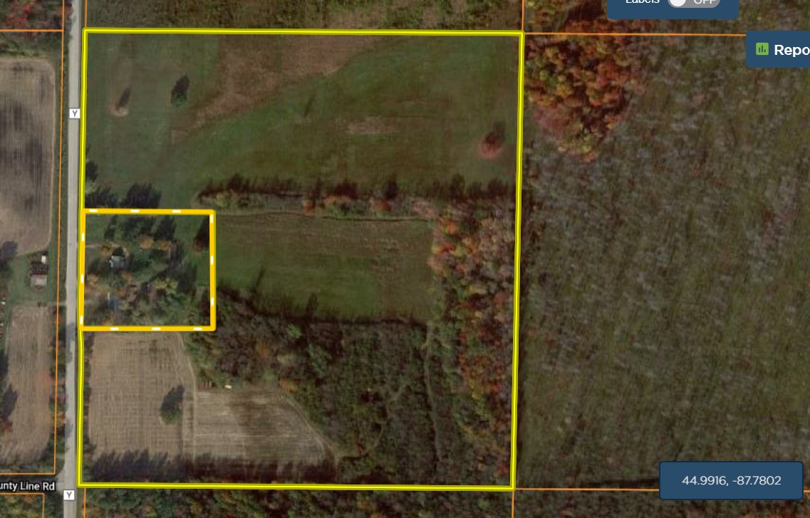
Address County Road Y Peshtigo, WI 54157

View on Google Maps

Description

Oconto County land is contiguous to this property on the southern border and a bunch more are found just ½ mile west. Along County Y there is a strip of farmland running north and south that is flanked by large wooded tracts, swamps, and more state land both east and west. This property sits in the middle of all of that public land, the fields acting as a large magnet drawing deer out of heavy cover and creating wonderful opportunities for those fortunate enough to own something in the middle with farmland. Aerial photos also show the location of the Bay and other rivers that feed into it. This is hunting and fishing heaven. The Peshtigo River, Oconto River, Menominee River, and the Little River all feed into the bay not very far from this property. With 21 acres of farmland that is broken up by many different edges, it allows you to find a great spot to sit on any given night in almost any wind condition. In April and early May, you will see trucks and cars parked along County Road Y, folks watching the ditches as the Northerns and suckers move upstream to spawn. This land is fertile and crops grow well, it is great hunting land and it is priced very well for everything it offers. For the best description of what this property can provide for your hunting pleasure be sure to contact Terry Patrick, the listing agent. It will not last very long, this is a popular area and land goes fast.

Details

  • Just 2 miles north of the Bay and 4 miles south of Peshtigo
  • 21 +/- acres of corn, beans, and hay inside its borders
  • Attached to 280 +/- acres of Oconto County land on the south border
  • 1 3/4 miles to the east is Peshtigo Harbor State Wildlife Area
  • 1/2 mile to the west over 4,000 acres of Oconto County Forest
  • Taxes are very low, taxed as farmland, approximately $200 per year
  • Great deer, bear, and turkey hunting
  • Fishing available in all directions
  • Tree species include maple, poplar, pine, and spruce

Summary

Features

Tillable, Wild Game, Whitetail, Turkey, Upland Game, Waterfront, Investment, Bear, Wetlands, Big Game, Small Game, Dove, Grouse, Other Game, Roads, Road Frontage, County Road, Road Access, Pavement, Tillable / Production Acres, Pine Trees, Hardwood Trees, Softwood Trees, Corn, Soybeans, Hay, Utilities, Electric, Telephone, Area Features, Public Hunting, Boat Ramp, Public Fishing, Public Access Area, Marina, RV Park, Camping/Campground, Golf Course, Airport, Activities on Property, Hunting, Hiking, ATV Riding, Horseback Riding, Camping, Family Activities, Biking, Snowmobiling, Tillable, Wild Game, Whitetail, Turkey, Upland Game, Waterfront, Investment, Bear, Wetlands, Big Game, Small Game, Dove, Grouse, Other Game, Roads, Road Frontage, County Road, Road Access, Pavement, Tillable / Production Acres, Pine Trees, Hardwood Trees, Softwood Trees, Corn, Soybeans, Hay, Utilities, Electric, Telephone, Area Features, Public Hunting, Boat Ramp, Public Fishing, Public Access Area, Marina, RV Park, Camping/Campground, Golf Course, Airport, Activities on Property, Hunting, Hiking, ATV Riding, Horseback Riding, Camping, Family Activities, Biking, Snowmobiling

Road Frontage

County Road

Road Surface

Pavement

Land Details

Tillable, Hay

Improvements/Features

Big Game, Upland Game, Wetlands, Small Game

Feeds

Trulia, Zillow

Other Property Details

Utilities
  • electric: onsite
  • telephone: onsite
Coordinates

44.9916, -87.7802

Annual Taxes

$200

Sold Property

For more information or to see additional properties currently for sale see Terry Patrick's listings.

Nearby Related Properties


For Sale
$249,900 10.36 acres ±
Oconto County • Abrams, WI 54101
For Sale
$32,600 0.92 acres ±
Shawano County • Shawano, WI 54166
For Sale
$31,395 1.12 acres ±
Shawano County • Shawano, WI 54166
For Sale
$29,669 1.1 acres ±
Shawano County • Shawano, WI 54166
For Sale
$1,400,000 43.39 acres ±
Brown County • De Pere, WI 54115
For Sale
$555,000 1.5 acres ±
Marinette County • Pembine, WI 54156
New
$220,000 55 acres ±
Manitowoc County • Whitelaw, WI 54247
For Sale
$98,500 16.78 acres ±
Florence County • Fence, WI 54120
Stay Connected

Be Part of a Thriving Land Community!

Get the same expert advice, property strategies, and land management tips that thousands of landowners trust. Subscribe now and stay ahead in the market.