Sold

Turn Of The Century Farm With Acreage In Northwest WI

Acreage

160 ±

County

Trempealeau

SOLD

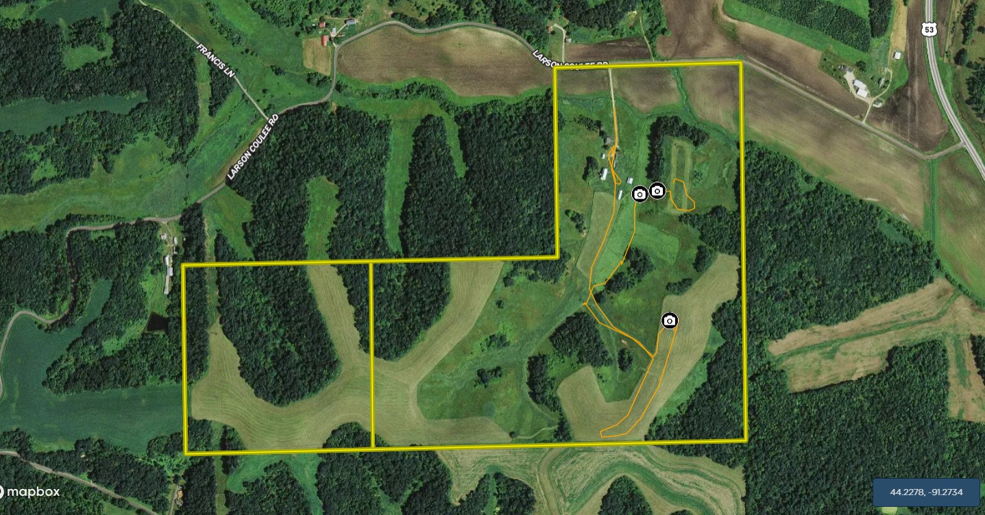
Address W15153 Larson Coulee Rd, lot#WP001 Ettrick, WI 54627

View on Google Maps

Description

This early 20th-century farmhouse needs some TLC to bring back its glory but the bones of the house are solid. Beautiful oak trim, cabinets, and accents have transcended the years and just need someone with some vision to rehab and bring it back to life. There are a few of the original barns still standing to remind you of the immigrant families that settled these hills and valleys, raised a family, and enjoyed life on the farm. There is about 69.9ac of tillable and the balance is either open or in timber. A great farm to raise some cattle or perhaps raise a specialty crop. Situated at the end of a short private drive is your ticket to the lifestyle you have dreamed about. The owners may consider a split so if you are interested in the home and some acres let's put in an offer! Come resurrect this old home and raise your family on the farm like so many generations before you. This is a great price as we put nearly zero value on the home and buildings. Call Land Specialist Neil A. Hauger for a tour today. 

Details

  • Farm home is about 100 years old. It needs some TLC but is fairing well. Sold as is
  • No Government programs
  • Approximately 69.7 acres are tillable and the balance is in open land or timber
  • This area can produce some nice bucks so perhaps this farm as a great project farm to convert into a hunting mecca with food plots, bedding cover
  • No vacant land disclosure or RECR as this is an estate sale
  • Taxes $3,037.94
  • Owners may consider splitting off home and some acres so lets make an offer
  • Crop rent is year to year at $100/ac

Summary

Improvements/Features

Big Game, Wetlands

Features

Wild Game, Whitetail, Waterfront, Creek, Home, Improvements, Investment, Wetlands, Big Game, Roads, Road Frontage, County Road, Road Access, Pavement, Fence, Partial Fence, Fence Material, Wire, Tillable / Production Acres, Pine Trees, Hardwood Trees, Softwood Trees, Housing, Building Improvements, Barn, Utilities, Electric, Propane, Area Features, Public Hunting, Boat Ramp, Public Fishing, Public Access Area, Marina, RV Park, Camping/Campground, Golf Course, Airport, Activities on Property, Hunting, Hiking, ATV Riding, Horseback Riding, Camping, Family Activities, Snowmobiling

Road Frontage

County Road

Road Surface

Pavement

Fencing

Partial

Outbuildings

Barn

Land Type

Hunting and Recreational, Home on Acreage

Land and Farm Property Types

Land - Hunting, Land - Recreational, Land - Residential

Property Type

Recreational Land, Residential Land, Hunting Land

Other Property Details

Utilities
  • electric: onsite
  • propane: onsite
Coordinates

44.2244, -91.2565

Annual Taxes

$3,038

Sold Property

For more information or to see additional properties currently for sale see Neil Hauger's listings.

Nearby Related Properties


For Sale
$115,000 8.7 acres ±
Monroe County • Sparta, WI 54656
For Sale
$1,350,000 118.68 acres ±
Winona County • La Crescent, MN 55947
For Sale
$3,500,000 138.02 acres ±
Winona County • La Crescent, MN 55947
For Sale
$2,150,000 19.32 acres ±
Winona County • La Crescent, MN 55947
For Sale
$205,725 27.37 acres ±
Jackson County • Fairchild, WI 54741
New
$775,000 114.06 acres ±
Houston County • La Crescent, MN 55947
For Sale
$789,000 89.48 acres ±
Monroe County • Warrens, WI 54666
New
$235,000 0.3 acres ±
Winona County • Lewiston, MN 55952
Stay Connected

Be Part of a Thriving Land Community!

Get the same expert advice, property strategies, and land management tips that thousands of landowners trust. Subscribe now and stay ahead in the market.