Sold

Hillside Forest Land With Excellent Wildlife Hunting In Northwest WI

Acreage

43.14 ±

County

Washburn

SOLD

Address N12098 Lakeside Road Parcel 2 Minong, WI 54859

View on Google Maps

Description

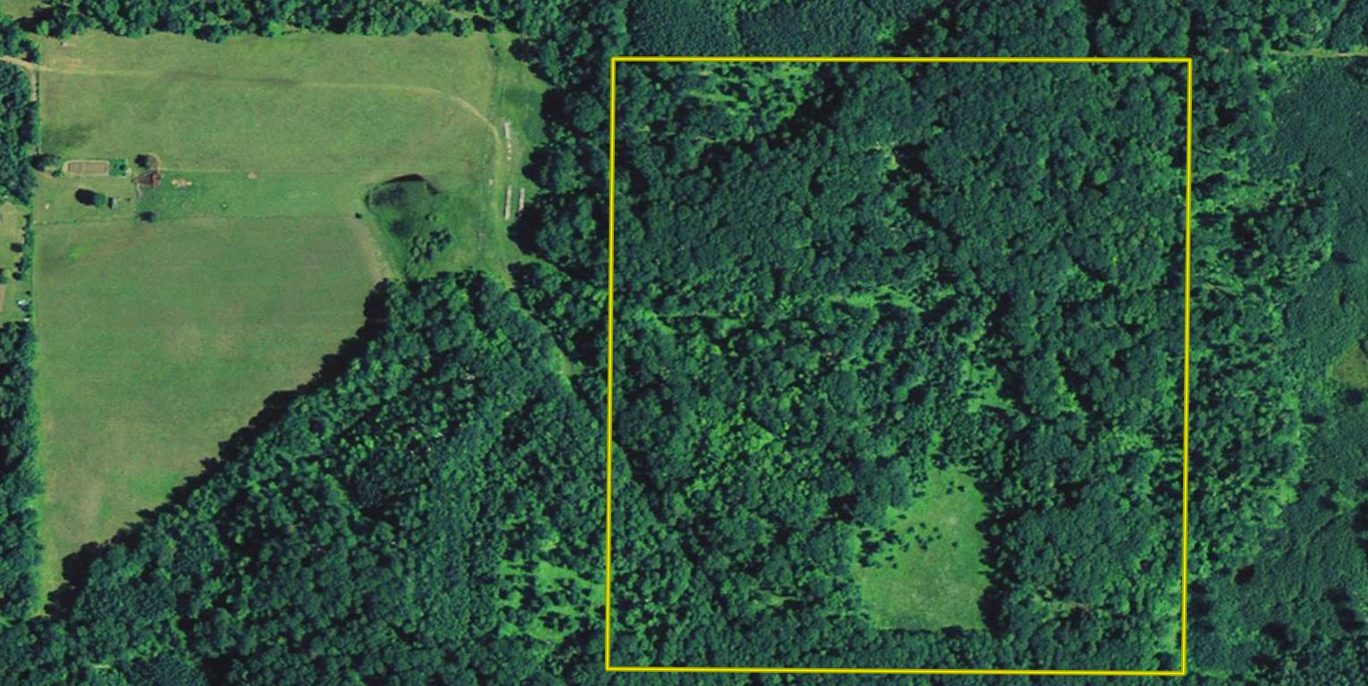
This hillside forest land is full of wildlife from Deer, Turkeys and Bears. The trail takes you up the gradual hill to the top where you’ll find a clearing ready for a food plot. The trail branches off in several directions for more key stand locations. There’s underbrush to hold dear and mature oaks with acorns for a mast. Once you see it you’ll understand what a beautiful property this is. It’s bordered on 2 sides by the Washburn county forest. There will be an easement to cross the West parcel from Roessel Dr.

Details

  • Approx. 2 miles Southeast of Minong and 47 miles Southeast of Superior
  • In unit 13 and is contiguous with units 4 through 12
  • Mowed trail system
  • 2018 taxes were $29.63
  • Mature timber
  • Large clearing for a food plot

Summary

Features

Wild Game, Whitetail, Turkey, Improvements, Investment, Bear, Big Game, Small Game, Other Game, Roads, Road Frontage, County Road, Road Access, Dirt, Tillable / Production Acres, Pine Trees, Hardwood Trees, Softwood Trees, Recreational Improvements, Trail Network, Area Features, Public Hunting, Boat Ramp, Public Fishing, RV Park, Camping/Campground, Golf Course, Airport, Activities on Property, Hunting, Hiking, ATV Riding, Horseback Riding, Camping, Family Activities, Snowmobiling, Wild Game, Whitetail, Turkey, Improvements, Investment, Bear, Big Game, Small Game, Other Game, Roads, Road Frontage, County Road, Road Access, Dirt, Tillable / Production Acres, Pine Trees, Hardwood Trees, Softwood Trees, Recreational Improvements, Trail Network, Area Features, Public Hunting, Boat Ramp, Public Fishing, RV Park, Camping/Campground, Golf Course, Airport, Activities on Property, Hunting, Hiking, ATV Riding, Horseback Riding, Camping, Family Activities, Snowmobiling

Road Frontage

County Road

Road Surface

Dirt

Improvements/Features

Big Game, Small Game, Trail Network

Land Type

Hunting and Recreational, Timberland

Land and Farm Property Types

Land - Hunting, Land - Recreational, Timberland - Natural

Property Type

Recreational Land, Timberland, Hunting Land

Other Property Details

Coordinates

46.0686, -91.8114

Annual Taxes

$30

Sold Property

For more information or to see additional properties currently for sale see Chris Polfus's listings.

Nearby Related Properties


Reduced
$215,000 39 acres ±
Pine County • Sandstone, MN 55072
For Sale
$90,000 20 acres ±
Burnett County • Frederic, WI 54837
For Sale
$162,000 36 acres ±
Burnett County • Frederic, WI 54837
Reduced
$224,900 39.2 acres ±
Burnett County • Danbury, WI 54830
Reduced
$410,000 43.62 acres ±
Pine County • Sandstone, MN 55072
New
$130,000 20 acres ±
Carlton County • Sturgeon Lake, MN 55783
For Sale
$82,500 19.25 acres ±
Pine County • Sandstone, MN 55072
Reduced
$189,900 29.57 acres ±
Polk County • Milltown, WI 54858
Stay Connected

Be Part of a Thriving Land Community!

Get the same expert advice, property strategies, and land management tips that thousands of landowners trust. Subscribe now and stay ahead in the market.