Sold

Central Pike Co IL Combination Timber And Tillable Property With Income

Acreage

81 ±

County

Pike

SOLD

Address 170th Ave, Lot#WP001 Nebo, IL 62355

View on Google Maps

Description

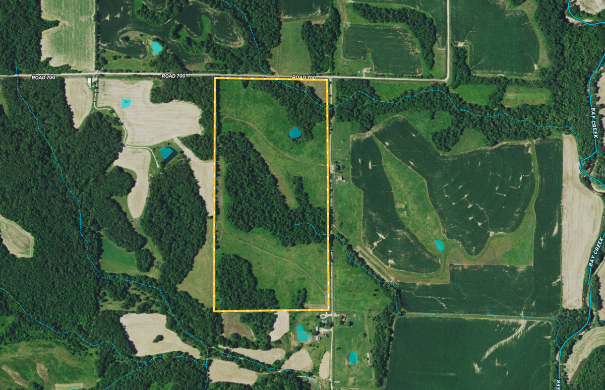
This is an excellent opportunity to purchase a quality-hunting tract with a steady income stream. Located south of Time is this combination of timber and tillable property that offers several recreational opportunities. Currently, 35 acres are being farmed, paying $7,000 annually. The property has an excellent connecting habitat and several more prominent landowners. Several stand locations and food plot locations throughout the property., Some of the county's finest hunting. The property also has several great building sites overlooking the countryside. Not only would this property make a great hunting property, but it would also be an excellent addition to your farming operation or investment portfolio with opportunities for additional income from a hunting lease. If you are in the market for a quality farm in a great neighborhood, give the listing agent a call today for more information or schedule a private showing.

Details

  • FSA indicates 47.44 acres of tillable farm ground of which, 35 acres are currently being farmed
  • 35 acres cash rented for $200/acre or $7,000 of annual income
  • Excellent opportunity to add to your row crop operation, investment portfolio or hunting operation
  • Great deer and turkey hunting
  • Quality connecting habitat
  • Several potential building sites
  • Small pond and creek on property provide a water source for wildlife
  • Several large neighboring landowners
  • 2020 Taxes: 675.54
  • FSA indicates 47.44 acres of tillable farm ground of which, 35 acres are currently being farmed

Summary

Features

Tillable, Wild Game, Whitetail, Turkey, Waterfront, Pond (0-3 acres), Investment, Minerals, Big Game, Small Game, Other Game, Roads, Road Frontage, County Road, Road Access, Gravel, Fence, Low Fence, Partial Fence, Fence Material, Wire, Tillable / Production Acres, Corn, Soybeans, Area Features, Public Hunting, Boat Ramp, Public Fishing, RV Park, Camping/Campground, Golf Course, Airport, Activities on Property, Hunting, Hiking, ATV Riding, Horseback Riding, Camping, Family Activities, Biking, Seller's Mineral Rights Convey, Recreational Improvements

Road Frontage

County Road

Road Surface

Gravel

Fencing

Low Fence, Partial

Land Details

Tillable, Pond

Improvements/Features

Big Game, Small Game, Seller's Mineral Rights Convey

Land Type

Hunting and Recreational, Commercial and Development

Land and Farm Property Types

Land - Hunting, Land - Recreational, Land - Undeveloped

Property Type

Recreational Land, Undeveloped Land, Hunting Land

Other Property Details

Coordinates

39.498, -90.7068

Annual Taxes

$675

Sold Property

For more information or to see additional properties currently for sale see Tyler Sellens's listings.

Nearby Related Properties


Reduced
$189,000 2 acres ±
Pike County • Nebo, IL 62355
For Sale
$733,050 80.78 acres ±
Pike County • Pittsfield, IL 62363
Reduced
$1,946,010 235.88 acres ±
Pike County • Nebo, IL 62355
New
$789,277 95.67 acres ±
Pike County • Nebo, IL 62355
New
$1,156,732 140.21 acres ±
Pike County • Nebo, IL 62355
Reduced
$239,000 0.28 acres ±
Pike County • Pittsfield, IL 62363
For Sale
$450,000 0.1 acres ±
Pike County • Pittsfield, IL 62363
New
$457,040 78.8 acres ±
Calhoun County • Nebo, IL 62355
Stay Connected

Be Part of a Thriving Land Community!

Get the same expert advice, property strategies, and land management tips that thousands of landowners trust. Subscribe now and stay ahead in the market.