Sold

Combo Farm With Building Site In South Central IA

Acreage

234 ±

County

Decatur

SOLD

Address Hwy J66 Pleasanton, IA 50065

View on Google Maps

Description

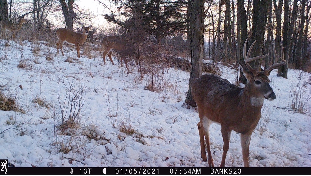
This farm has had an enormous amount of work put into it! All fields have been cleaned up for crop rotation, all the crossings have had tubes or low water crossing put in, new gates on multiple access points, food plots, and trees have been planted for screening purposes. The level of deer sign I seen while on fairly fresh snow was very impressive and there is no doubt this farm is going to hold a pile of deer! It has great bedding, tons of food and water sources available. If you have been looking for a nice combo farm with great building site potential off hard surface, you will want to see this one.

Details

  • Property is located a little over 1 hour from West Des Moines Metro and 10 minutes from Leon
  • Multiple build sites with Water, Power, and Fiber available at the road (call for details)
  • Hard surface roads on the West and South sides of property (Hwy J66 on South and Hwy R46 on West)
  • +/- 114 acres tillable rented at $135 acre until 2022 for a $15,390 annual income
  • Great access to any part of the farm with internal trails throughout the property
  • All crossings on farm are in great shape with new tubes and rock throughout the farm
  • 2 ponds on the property of which one is stocked
  • Small creek flows through property
  • Multiple large cedar thickets!
  • 3 elevated 6X6 blinds on property (see pics)
  • Multiple pond building sites (large ponds if wanted)
  • Hundreds of new trees planted
  • Food plots throughout farm with elevated tower blinds
  • Great genetics (see pics)
  • Very high level of deer sign on the farm
  • Very large landowner tracts in immediate area
  • Property could be converted to CRP in a few years
  • Taxes $2126 yr
  • 107 acres tillable rented at $135 acre until 2022 for a $14,445 annual income

Summary

Improvements/Features

Big Game, Tree Stands/Blinds, Food Plot, Fish, Small Game, Trail Network, Gated Entrance, Seller's Mineral Rights Convey

Features

Tillable, Wild Game, Whitetail, Turkey, Waterfront, Creek, Pond (0-3 acres), Improvements, Blinds, Food Plot, Investment, Minerals, Fish, Big Game, Small Game, Other Game, Catfish, Bass, Panfish, Roads, Road Frontage, Highway, Road Access, Pavement, Fence, Fence Material, Wire, Tillable / Production Acres, Corn, Soybeans, Hunting Improvements, Recreational Improvements, Trail Network, Building Improvements, Gated Entrance, Utilities, Electric, Internet, Activities on Property, Hunting, Fishing, Hiking, ATV Riding, Horseback Riding, Camping, Family Activities, Biking, Snowmobiling, Seller's Mineral Rights Convey, Low Fence

Road Frontage

State Highway

Road Surface

Pavement

Fencing

Low Fence

Land Details

Tillable, Pond

Land Type

Hunting and Recreational, Timberland

Land and Farm Property Types

Land - Hunting, Land - Recreational, Timberland - Natural

Feeds

Trulia, Zillow

Property Type

Recreational Land, Timberland, Hunting Land

Other Property Details

Utilities
  • electric: onsite
  • internet: onsite
Coordinates

40.5912, -93.7183

Annual Taxes

$0

Sold Property

For more information or to see additional properties currently for sale see Gabe Adair's listings.

Nearby Related Properties


Reduced
$529,000 80 acres ±
Decatur County • Davis City, IA 50065
Reduced
$689,000 93 acres ±
Decatur County • Davis City, IA 50065
Reduced
$649,900 38 acres ±
Decatur County • Davis City, IA 50065
For Sale
$535,763 97.5 acres ±
Mercer County • Mercer, MO 64661
For Sale
$284,890 62 acres ±
Mercer County • Cainsville, MO 64632
For Sale
$950,000 40 acres ±
Harrison County • Ridgeway, MO 64481
For Sale
$144,900 13.42 acres ±
Decatur County • Garden Grove, IA 50103
For Sale
$171,900 17.62 acres ±
Decatur County • Garden Grove, IA 50103
Stay Connected

Be Part of a Thriving Land Community!

Get the same expert advice, property strategies, and land management tips that thousands of landowners trust. Subscribe now and stay ahead in the market.