Sold

Small Hunting Property In A Great Area In Southern Iowa

Acreage

20 ±

County

Wapello

SOLD

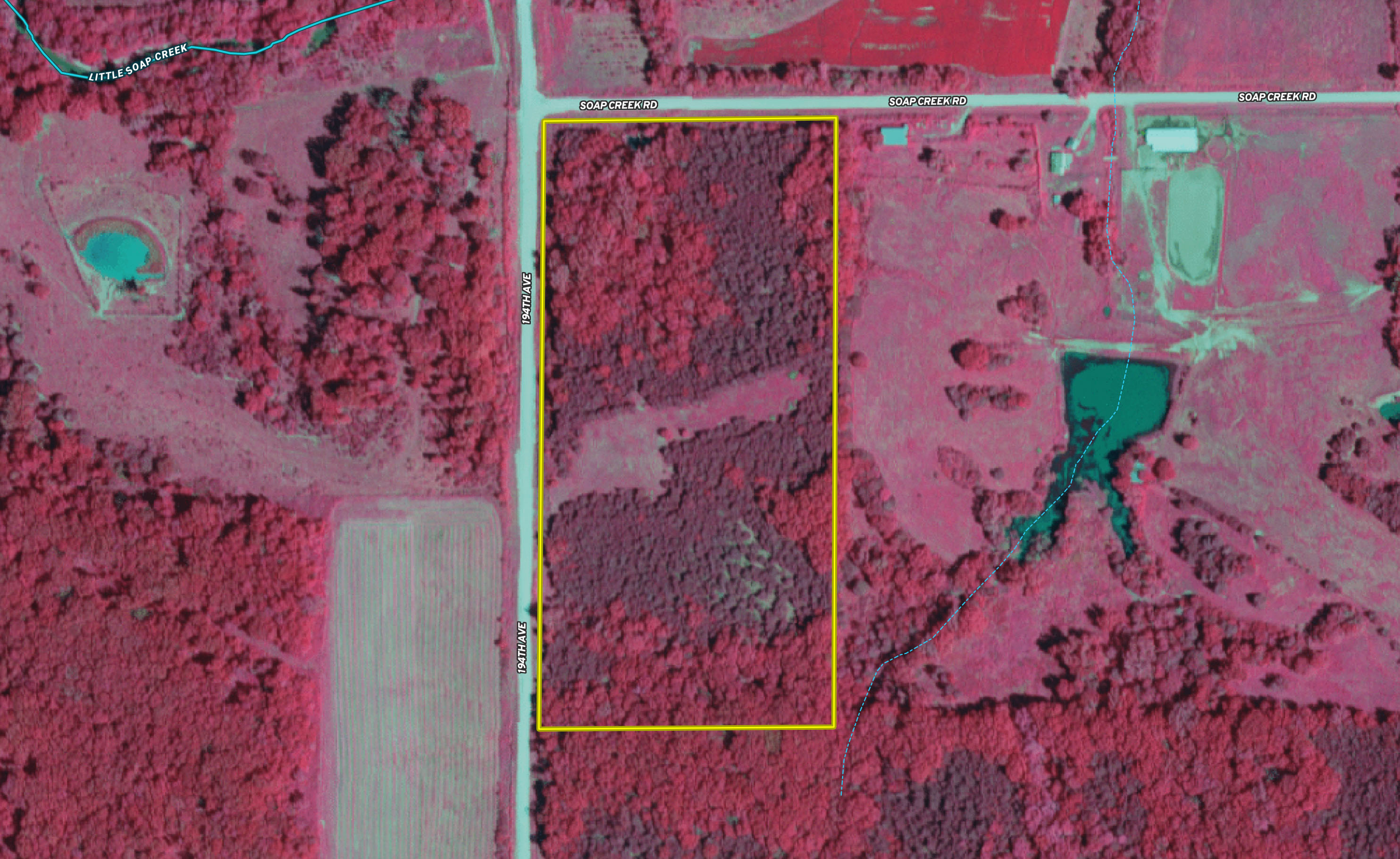
Address TBD Soap Creek Road Blakesburg, IA 52536

View on Google Maps

Description

This 20-acre property in southern Iowa presents an excellent opportunity for buyers wanting a small hunting property in a great area with a good building site. Situated southeast of Blakesburg, it's in a prime location near Little Soap Creek, where the whitetails grow big. The property is a big bedding area with thick hardwood timber and cedars. Electricity and rural water are run along the road, providing convenient access for future construction. At the heart of the land, a three-acre field stands as a high ridge, ideal for a potential food plot or a site for building a home or cabin. The seller has worked hard at timber stand improvement, resulting in thickets that provide excellent bedding habitat, particularly for mature bucks. To the north lies Little Soap Creek, a proven travel corridor for large southern Iowa whitetails as they navigate the area in search of does during the fall. Taxes last year were only $20 because most of the land is in Forest Reserve. If you want to own a little hunting property in southern Iowa, please call the Southeast Iowa Land Team with Whitetail Properties Real Estate. We are your Land Specialists in Wapello County and all of southeast Iowa.

Details

  • Small property in a great area for mature whitetails
  • Thick bedding area with hardwoods and cedars that have had Timber Stand Improvement
  • Good building site with electricity and rural water along the road
  • Near Little Soap Creek, a watershed that is known for big deer
  • Three acre area could make a good food plot site or a place to build a cabin
  • Low taxes - only $20 in 2022, because most of the land is in Forest Reserve
  • Contact the Southeast Iowa Land Team with Whitetail Properties Real Estate

Summary

Land Type

Hunting and Recreational

Property Type

Recreational Land, Hunting Land

Land and Farm Property Types

Land - Hunting, Land - Recreational

Road Frontage

County Road

Road Surface

Gravel

Land Details

Timber

Feeds

Trulia, Zillow

Activities on Property

Hunting, ATV Riding, Camping

Roads

Road Frontage

Wild Game

Small Game, Big Game

Recent Property Improvements

Gated entrance

Other Property Details

Coordinates

40.9401, -92.5319

Annual Taxes

$20

Sold Property

For more information or to see additional properties currently for sale see Ben Harshyne's listings.

Nearby Related Properties


New
$200,000 10 acres ±
Davis County • Bloomfield, IA 52537
Reduced
$145,900 15 acres ±
Davis County • Bloomfield, IA 52537
For Sale
$899,424 166.56 acres ±
Monroe County • Albia, IA 52531
New
$690,000 100 acres ±
Keokuk County • Ollie, IA 52576
New
$485,000 81.3 acres ±
Putnam County • Unionville, MO 63565
Reduced
$633,600 128 acres ±
Putnam County • Green Castle, MO 63544
For Sale
$552,000 80 acres ±
Marion County • Lacona, IA 50139
Reduced
$399,999 57 acres ±
Marion County • Melcher-Dallas, IA 50062
Stay Connected

Be Part of a Thriving Land Community!

Get the same expert advice, property strategies, and land management tips that thousands of landowners trust. Subscribe now and stay ahead in the market.