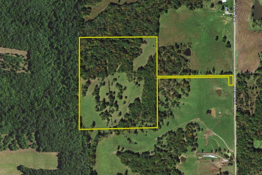
For sale $270,000 | 47.31± Acres

Hunting Land Between Jamesport And Trenton

SW 52nd Ave Lot#WP001 Trenton, MO 64683 – Grundy | View on Google Maps

Recreational Land Hunting Land

Description

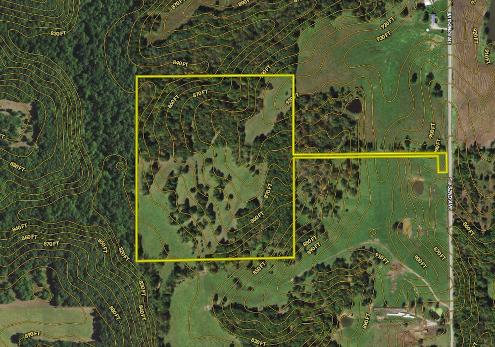
Take a look at this affordable hunting farm that's mostly hardwood timber, complimented by rolling open grassland. Situated just north of 6 Highway between Jamesport and Trenton, this property is a hidden gem that was once part of a larger pasture farm. Since the cattle moved out in 2023, the land has been managed exclusively for hunting, allowing the open grassy areas to begin to flourish into thick wildlife cover. The timbered areas of the farm are mostly hardwoods, especially red and white oaks, that provide deer and turkeys with plenty of acorns. Timbered areas of the property are complimented by open fields that are a blank canvas for wildlife food plots, warm-season grasses, or a blend of both. Fall and winter food plots here could have significant drawing power, allowing a smart habitat manager to pull deer and turkeys in from the large chunks of neighboring timber. Privacy and seclusion are keys to good hunting, and this farm offers both as it sits back nearly a quarter of a mile from the road. It is accessed via a private 50' x 1330' +/- driveway lane that is part of the property itself, not an easement across someone else's land. One other hunting feature of this farm is the impressive rolling topography. Varied slopes make the land feel bigger than it really is, and this also enables a habitat manager to set up various areas for food, cover, bedding, staging and access. This one packs a lot of punch for a small hunting tract. Don't wait to call land specialist Jason Patterson today for your private tour.

Summary

Property SummaryProperty

Road Frontage

County Road

Road Surface

Gravel

Fencing

Partial

Property Type

Recreational Land, Hunting Land

Property Summary Approximate Distances

9 mi Jamesport
6 mi Trenton

Details

  • Excellent hunting
  • Private setting, accessed via 50' x 1330' lane (access road belongs to the property for sale, see survey)
  • Big whitetail bucks and abundant turkeys
  • Scenic mix of oak and other hard wood timber, plus open rolling grassland
  • Open grassland provides and opportunity to develop food plots, warm season grasses or both

Other

Coordinates

40.0596, -93.7003

Annual Taxes

$0

Listing Agent

Nearby Related Properties


For Sale
$535,800 94 acres ±
Grundy County • Trenton, MO 64683
For Sale
$336,300 59 acres ±
Grundy County • Trenton, MO 64683
New
$1,000,000 38.2 acres ±
Grundy County • Spickard, MO 64679
New
$4,500,000 587.5 acres ±
Grundy County • Spickard, MO 64679
New
$3,500,000 549.3 acres ±
Grundy County • Spickard, MO 64679
For Sale
$921,500 190 acres ±
Mercer County • Princeton, MO 64673
For Sale
$320,000 51 acres ±
Daviess County • Pattonsburg, MO 64670
Reduced
$336,700 74 acres ±
Sullivan County • Harris, MO 64645
Stay Connected

Be Part of a Thriving Land Community!

Get the same expert advice, property strategies, and land management tips that thousands of landowners trust. Subscribe now and stay ahead in the market.