Sold

Combination Recreational Hunting And Income-Producing Property

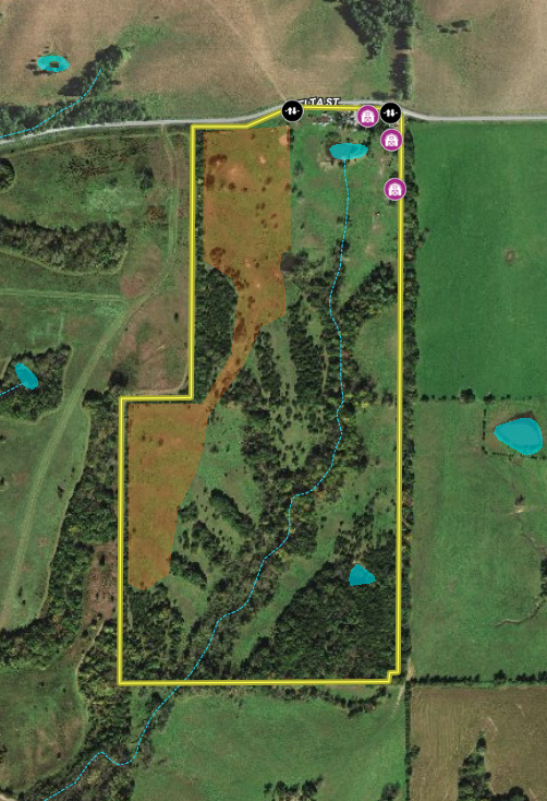
Acreage

71 ±

County

Mercer

SOLD

Address Delta Street Princeton, MO 64673

View on Google Maps

Description

Beautiful combination hunting and income-producing recreational property in a well-managed area.

Summary

Nearby Features

Public Hunting, Public Fishing, Camping/Campground, Boat Ramp, Golf Course

Land Type

Hunting and Recreational, Ranch and Farm

Outbuildings

Metal, Barn

Activities on Property

Hunting, Hiking, ATV Riding, Family Activities

Tillable/Production Areas

Tillable

Property Type

Farms, Recreational Land, Hunting Land

Land and Farm Property Types

Agriculture - Farm

Road Frontage

County Road, Township Road

Road Surface

Gravel

Fencing

Low Fence

Land Details

Timber, Tillable, Open, Pond

Improvements/Features

Small Game, Big Game, Upland Game, Food Plot, Trail Network

Roads

Road Frontage, Road Access

Wild Game

Upland Game, Small Game, Big Game

Recent Property Improvements

Food plot, Trail network

Other Property Details

Coordinates

40.45629, -93.64405

Annual Taxes

$0

Sold Property

For more information or to see additional properties currently for sale see Stephen Stockman's listings.

Nearby Related Properties


For Sale
$535,763 97.5 acres ±
Mercer County • Mercer, MO 64661
For Sale
$284,890 62 acres ±
Mercer County • Cainsville, MO 64632
For Sale
$766,500 154 acres ±
Mercer County • Princeton, MO 64673
New
$1,590,400 222 acres ±
Mercer County • Princeton, MO 64673
Reduced
$520,000 80 acres ±
Decatur County • Davis City, IA 50065
New
$1,149,000 173 acres ±
Decatur County • Davis City, IA 50065
Reduced
$674,000 93 acres ±
Decatur County • Davis City, IA 50065
For Sale
$950,000 40 acres ±
Harrison County • Ridgeway, MO 64481
Stay Connected

Be Part of a Thriving Land Community!

Get the same expert advice, property strategies, and land management tips that thousands of landowners trust. Subscribe now and stay ahead in the market.