Sold

Excellent Hunting Property, Building Locations, Plots & Pond

Acreage

239.06 ±

County

Cattaraugus

SOLD

Address VL NYS Rte 98, Lot#WP001 Franklinville, NY 14737

View on Google Maps

Description

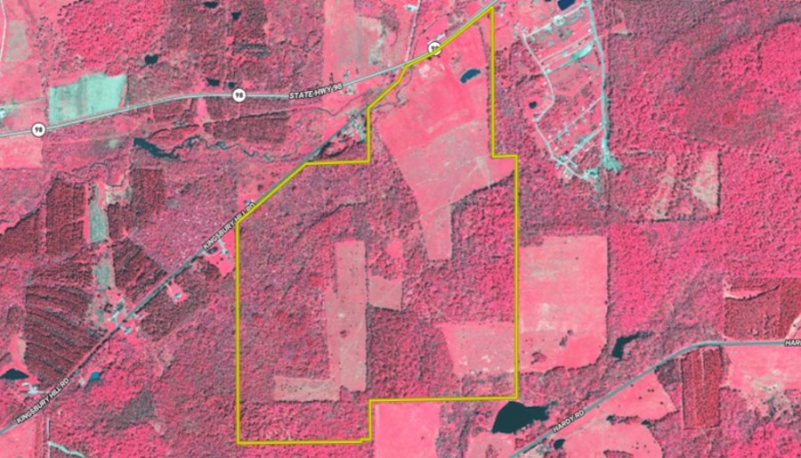
We are pleased to present a superior hunting property with all the hallmarks of a parcel ready-made for deer management practices. Serious deer hunters would immediately recognize the opportunity to own this special piece of land. Just 3.3 miles east of the center of Franklinville, this 240-acre property has instant appeal with 1,166 feet of road frontage on SR 98 that looks up to a pond. The pond area would be a prime location for a dream home or a place to build a cabin or park a camper trailer overlooking the valley views below. Upon approaching the central driveway, a large pasture/field greets you, providing the first opportunity to plant crops or select multiple locations for building. As the driveway continues into the property and trails start to branch off into each corner of the property, savvy hunters will see the food plot locations and wooded transition areas so keen for holding a large population of deer and hiding big deer to grow to maturity. Deer trails are notable as they move between fields and bedding, with much of them being a mix of security cover close to hardwood timber stands and natural travel corridors. With a network of over four miles of ATV trails, they access all eight fields for placing strategic hunting blind locations. The majority of the property enjoys topography that would be described as the "crown of the hill," and brilliantly, this is where the high pastures and food lots are. None are visible from the road, which additionally provides privacy and security for deer to loaf and move about the day undisturbed. There is a large, planted conifer stand at the top of the hill. This stand is large enough to provide thermal properties, a snow canopy for wintering deer, and a place for bedding on seasonally hot days in summer for deer. Turkey hunting should not be overlooked here either; with the same habitat that attracts deer in numbers, so does it for turkey. Priced well to sell, don't let this one get by you. Call us today for a showing. Big properties like this don't come by often. ADDITIONAL INFORMATION: GMO's convey, Deer hunting, Turkey Hunting, ATV trails, Pond, Multiple food plots, Building locations, Electric at the road, 74 acres fields/food plots, 164 acres timber/woods, Taxes $6,394 (2023), 3.3 miles to Franklinville, NY, 7 miles to Machias, NY, 9.7 miles to Rushford Lake, NY, 1 hour 15 minutes to Buffalo, NY Sold AS IS..

Details

  • GMO's convey
  • Deer hunting, turkey hunting, ATV trails, pond, multiple food plots
  • Building locations, electric at the road, 74 acres fields/food plots, 164 acres timber/woods

Summary

Feeds

Lands of America

Roads

Road Frontage

Land Type

Hunting and Recreational

Wild Game

Upland Game, Small Game, Big Game

Waterfront

Pond (0-3 acres)

Land Details

Pasture, Pond

Property Type

Recreational Land, Undeveloped Land, Hunting Land

Road Frontage

State Highway

Improvements/Features

Small Game, Big Game, Upland Game, Trail Network

Activities on Property

Hunting, ATV Riding

Land and Farm Property Types

Land - Hunting, Land - Recreational, Land - Undeveloped

Other Property Details

Coordinates

42.3684, -78.40195

Annual Taxes

$6,394

Sold Property

For more information or to see additional properties currently for sale see Paul Vaicunas's listings.

Nearby Related Properties


For Sale
$120,000 0.17 acres ±
Cattaraugus County • Franklinville, NY 14737
New
$54,900 4.85 acres ±
Cattaraugus County • Franklinville, NY 14737
Reduced
$69,900 11.26 acres ±
Allegany County • Farmersville Station, NY 14060
Reduced
$139,900 23.5 acres ±
Allegany County • Farmersville Station, NY 14060
Reduced
$39,900 6.6 acres ±
Allegany County • Farmersville Station, NY 14060
For Sale
$105,000 4.75 acres ±
Cattaraugus County • Hinsdale, NY 14743
Reduced
$19,900 1.02 acres ±
Wyoming County • Arcade, NY 14009
New
$309,900 87.3 acres ±
Allegany County • Cuba, NY 14727

Be Part of a Thriving Land Community!

Get the same expert advice, property strategies, and land management tips that thousands of landowners trust. Subscribe now and stay ahead in the market.