For sale $309,900 · 87.3± Acres

Allegany County

87.3+/- Acres Of Tillable Land With Excellent Hunting

V/L Summit Road, Lot#WP014 Cuba, NY 14727

Description

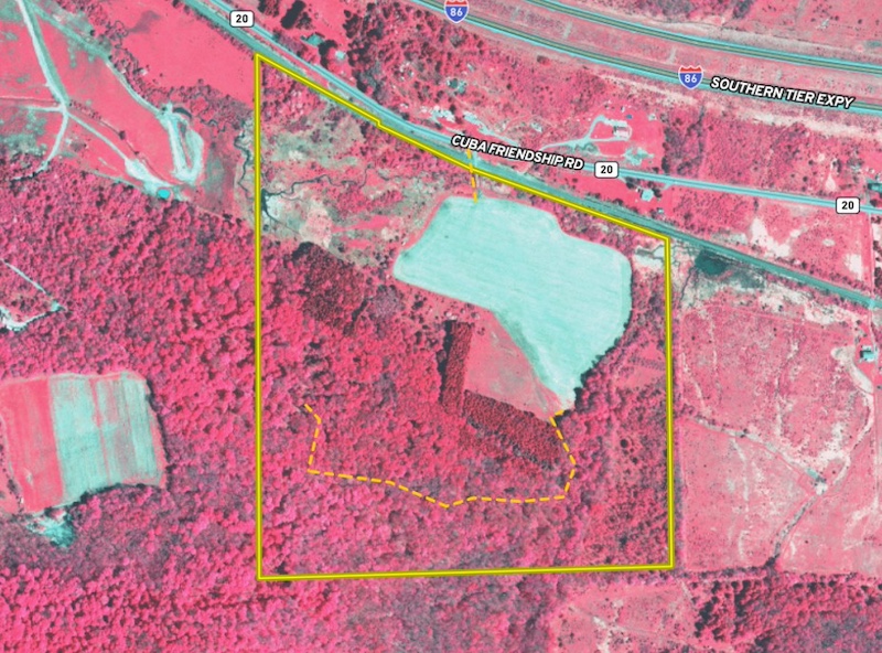
This 87± acre property is a combination of excellent deer habitat and tillable acres located just minutes east of Cuba, NY. Access is provided by a newer road that crosses the railroad tracks, progressing south off of Rt 20 into the field. The field has been planted in corn (2025) and has a gentle slope leading to the woods above. The forest is predominantly mixed hardwoods, with two stands of planted Norway Spruce providing thermal cover for deer. Approximately 20% of the stand consists of oak, with the remainder being hard and red maple. The Ash trees have been removed, and a professional forester has managed the timber stand recently with a releasing harvest to produce another marketable harvest in 8 +/- years, then again, in another 10 +/- years. This property has a great location for a cabin where a camper is currently located on the hill overlooking the field. Deer sign and trails were abundant on all acres of this parcel, and with tillable acres as part of this property, food plotting would be a breeze to attract and hold deer on the land. The Northwest corner is a lowland area with field grasses and old apple trees, and some elements of wetlands are present, too. A main logging trail runs centrally through the woods, making access a breeze and wide enough for any side-by-side or ATV. Call today for more details or to schedule a showing! ADDITIONAL INFORMATION: Timber and GMO rights convey, Tillable acres, Electric at the road, 3.85 miles to Cuba, 2.72 miles to Friendship, 3.1 miles to I-86. Taxes $TBD. Buyer agent must be present on all showings. Do not send clients out without accompanying them. Disclaimer: Map illustrations are for reference purposes only and not the representations of the Listing agent or brokerage Whitetail Properties Real Estate LLC. Illustrations are provided by Land ID. Parties should be advised to confirm Illustrations with licensed professional service providers.


Summary

Address

V/L Summit Road, Lot#WP014

Cuba, NY 14727

Allegany County

Get Directions

Approximate Distances

3.85 mi Cuba
2.72 mi Friendship
3.1 mi I-86

Property

Property Type
Recreational Land, Undeveloped Land, Hunting Land

Land Details

Tillable

Improvements/Features

Small Game, Big Game, Food Plot, Seller's Mineral Rights Convey


Details

  • Tillable field planted in corn during the 2025 season
  • Mixed hardwood forest with oak and maple components
  • Two stands of planted Norway Spruce providing thermal cover
  • Professionally managed timber with future harvest potential
  • Established logging trail suitable for ATV or side-by-side access
  • Hilltop location currently used for a camper overlooking the field
  • Lowland area with grasses, old apple trees, and wetland elements
  • Electric available at the road with convenient access
  • Buyer agent must be present on all showings, please do not send clients out without accompanying them
  • NY STATE MLS #11624679

Other

Coordinates

42.20845, -78.22055

Annual Taxes

$0

Paul Vaicunas

Brandon Scott

Nearby Related Properties


For Sale
$29,900 3.79 acres ±
Allegany County • Cuba, NY 14727
For Sale
$66,900 22.3 acres ±
Allegany County • Cuba, NY 14727
For Sale
$24,900 2.96 acres ±
Allegany County • Cuba, NY 14727
For Sale
$24,900 3.26 acres ±
Allegany County • Cuba, NY 14727
For Sale
$24,900 3.64 acres ±
Allegany County • Cuba, NY 14727
For Sale
$29,900 4.41 acres ±
Allegany County • Cuba, NY 14727
For Sale
$29,900 4.29 acres ±
Allegany County • Cuba, NY 14727
For Sale
$364,900 104 acres ±
Allegany County • Cuba, NY 14727
Stay Connected

Be Part of a Thriving Land Community!

Get the same expert advice, property strategies, and land management tips that thousands of landowners trust. Subscribe now and stay ahead in the market.