Sold

Building, Farming, Hunting Opportunity Just Minutes From Work

Acreage

120 ±

County

Monroe

SOLD

Address 2540 Redman Rd Lot#WP001 Brockport, NY 14420

View on Google Maps

Description

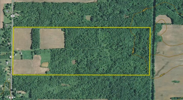
Can you imagine the best hunting just minutes from your work? If you live or work near Rochester, or the Greater Rochester area, this property is the location you have been looking for. Over 27 acres of tillable fields greet you at the road side, with over 90 acres of prime deer habitat of mixed hardwoods and early succession brush east of the fields. A variety of cover and transition zones for deer are found in the eastern most portion of the property, with a section of seasonal low land/wetland where the West Creek sneaks through the edge of the property. No doubt a hiding hole for big deer. Central to the property and access to the timber is a road that bisects the property into two equal parts. A north side and a south side. Complimenting this are an additional approx. 2 miles of ATV trails giving access to all parts and corners of the property. Over the years the ag fields have been in corn, soy bean, wheat and hay. Old apple trees dot the property as well as do a few planted pear trees. A pond is also on site for wildlife and pan fishing. Turkey sign and sightings were abundant. Remarkable was the abundance of deer tracks and trails on the fields. Deer trails were additionally carved into the field edges and connecting cover throughout the timber. The property is bordered by more large tracts of woods, large agriculture fields of corn and soybean on all sides further enhancing the deer hunting quality. There is a old renovation project home at the front of the property that with the right amount of care and time could be brought back to life. The renovation would be significant, but so would the reward. A barn and lean-to shed also are found near the road, with the barn having been freshly painted and newer metal roof is a solid structure. With approx. 1327 feet of road frontage, it may be possible to build or divide into two or three locations as your family grows or needs change or perhaps as an investment. For ground so close to the larger centers of Brockport, Greece and Rochester, this is a great opportunity to own one of the most convenient hunting and recreation tracts in Monroe County, or explore building a home in a commuters perfect location with privacy and wildlife all around you.

Details

  • Building opportunity
  • Approx. 27 acres tillable
  • Approx. 90 acres timber
  • Pond
  • Barn
  • Approx. 3 miles of roads/trails
  • Well
  • Electricity on the property
  • Deer & Turkey hunting
  • Approx. 2.2 miles North of SR 104
  • Approx. 4.5 miles to Brockport
  • Approx. 9 miles to Hilton
  • Approx. 14 miles to Downtown Rochester
  • Approx. 5.6 miles to Lake Ontario beaches
  • GMO's Convey
  • Taxes $5,640

Summary

Improvements/Features

Big Game, Upland Game, Tree Stands/Blinds, Food Plot, Small Game, Trail Network, Seller's Mineral Rights Convey

Features

Wild Game, Whitetail, Turkey, Upland Game, Waterfront, Pond (0-3 acres), Improvements, Blinds, Food Plot, Investment, Bear, Minerals, Big Game, Small Game, Grouse, Other Game, Roads, Road Frontage, County Road, Road Access, Pavement, Hunting Improvements, Tree Stands, Recreational Improvements, Trail Network, Infrastructure Improvements, Wells/Pumps, Building Improvements, Barn, Utilities, Electric, Water, Area Features, Public Fishing, Camping/Campground, Airport, Activities on Property, Hunting, Hiking, ATV Riding, Camping, Snowmobiling, Seller's Mineral Rights Convey

Road Frontage

County Road

Road Surface

Pavement

Outbuildings

Barn

Land Details

Pond

Land Type

Hunting and Recreational, Home on Acreage

Land and Farm Property Types

Land - Hunting, Land - Recreational, Land - Residential

Property Type

Recreational Land, Residential Land, Hunting Land

Feeds

Lands of America

Other Property Details

Utilities
  • electric: onsite
  • water: onsite
Coordinates

43.2807, -77.9657

Annual Taxes

$5,721

Sold Property

For more information or to see additional properties currently for sale see Paul Vaicunas's listings.

Nearby Related Properties


For Sale
$349,900 86 acres ±
Orleans County • Holley, NY 14470
For Sale
$29,900 5 acres ±
Orleans County • Holley, NY 14470
For Sale
$1,199,900 152.2 acres ±
Monroe County • Scottsville, NY 14546
For Sale
$1,599,900 172.2 acres ±
Monroe County • Scottsville, NY 14546
New
$299,900 23.5 acres ±
Niagara County • Barker, NY 14012
For Sale
$349,900 100.6 acres ±
Niagara County • Gasport, NY 14067
Reduced
$189,900 6 acres ±
Erie County • Akron, NY 14001
Reduced
$189,900 6 acres ±
Erie County • Akron, NY 14001
Stay Connected

Be Part of a Thriving Land Community!

Get the same expert advice, property strategies, and land management tips that thousands of landowners trust. Subscribe now and stay ahead in the market.