Sold

Hunting Cabins Near Rock Creek State Forest In Greenwood, NY

Acreage

20.7 ±

County

Steuben

SOLD

Address 1054 Ohargan Rd Greenwood, NY 14839

View on Google Maps

Description

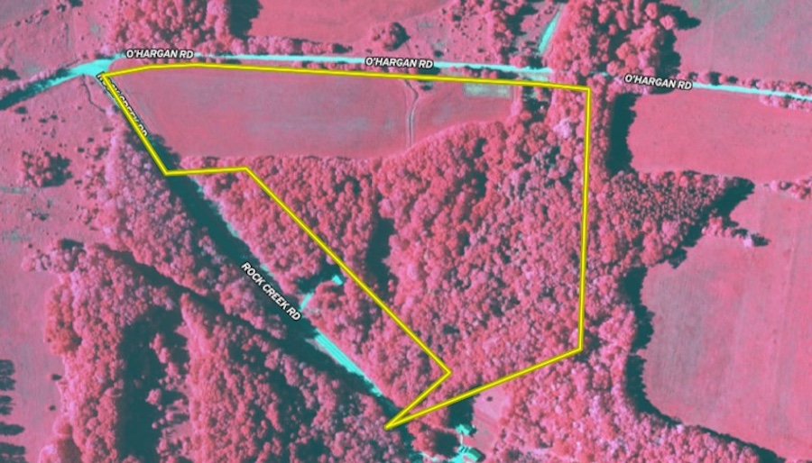
We are pleased to present a beautiful property with two rustic cabins near Greenwood, NY. Located on a quiet road and close to the 704 acres of Rock Creek State Forest in WMU 8, this property has two rustic cabins for weekend getaways or stays during deer camp. The first cabin is the cook cabin and living space, complete with a fridge, wood stove, sink and shower. The second cabin is the bunkhouse, ready for 5 to 6 people, with the restroom just outside, separate from the sleeping quarters. The land presents with a mix of hardwoods (Oaks), some hemlock near the creek and a large field for a mix of habitat that is excellent for deer hunting. A high house platform for a hunting blind is being included with this property. The new owners will enjoy the conveniences of having 20 acres of their own land to manage with fields, food plots, and apple trees while having an expanded hunting opportunity a mere 800 feet away from the state land. From your front door, O'harigan Road courses 1.4 miles through the north parcel of Rock Creek State Forest for easy access. Cleverly created for a great deer and turkey camp, this is an opportunity to own a state land border property. Call us today for a showing. ADDITIONAL INFORMATION: GMOs convey, 1,821 Feet of Road Frontage combined, Electric, Well, Septic, Window A/C, Wood Stove, Fridge, Food plot, Creek, Apple Trees, Deer Hunting, Taxes $965, 6.5 miles to Andover, NY, 3.2 miles to Greenwood, NY, 6.9 miles to Canisteo, NY, 6.4 miles to Rexville, NY. Agents must be present for showings. Sold AS IS.

Details

  • Available 10/15/2024
  • GMOs convey
  • 1,821 feet road frontage combined
  • Electric, well, septic, window A/C, wood stove, fridge
  • SOLD AS IS
  • MLS #11340800

Summary

Nearby Features

Public Hunting

Land Type

Hunting and Recreational, Home on Acreage

Activities on Property

Hunting, Camping

Type of Home

Cabin

Improvements/Features

Small Game, Big Game, Upland Game, Food Plot, Tree Stands/Blinds, Seller's Mineral Rights Convey

Wild Game

Upland Game, Small Game, Big Game

Road Surface

Gravel, Dirt

Roads

Road Frontage

Land and Farm Property Types

Land - Hunting, Land - Recreational, Land - Residential

Property Type

Recreational Land, Residential Land, Hunting Land

Waterfront

Creek

Recent Property Improvements

Food plot, Tree stand/Blinds

Other Property Details

Utilities
  • electric: onsite
  • water: onsite
Coordinates

42.17785, -77.67957

Annual Taxes

$965

Sold Property

For more information or to see additional properties currently for sale see Paul Vaicunas's listings.

Nearby Related Properties


For Sale
$44,900 5.25 acres ±
Allegany County • Andover, NY 14806
For Sale
$49,900 6.2 acres ±
Allegany County • Andover, NY 14806
For Sale
$44,900 5.25 acres ±
Allegany County • Andover, NY 14806
For Sale
$44,900 5.25 acres ±
Allegany County • Andover, NY 14806
For Sale
$214,900 95.6 acres ±
Allegany County • Wellsville, NY 14895
For Sale
$2,250,000 225 acres ±
Steuben • Hornell, NY 14843
For Sale
$299,999 95.2 acres ±
Allegany County • Wellsville, NY 14895
For Sale
$124,900 39 acres ±
Steuben • Cameron, NY 14819
Stay Connected

Be Part of a Thriving Land Community!

Get the same expert advice, property strategies, and land management tips that thousands of landowners trust. Subscribe now and stay ahead in the market.