Sold

Secluded Cabin With Pond, Views, Timber And Deer Hunting In Rexville, NY

Acreage

50 ±

County

Steuben

SOLD

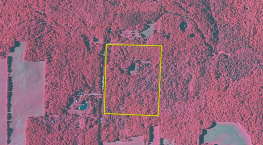
Address 1692 Keenan Rd Rexville, NY 14877

View on Google Maps

Description

We are pleased to present a beautiful property with a remote cabin on the crown of a hill wrapped by Keenan Road on its north and west boundary. Rolling in gentle topography and picturesque overlooking a tranquil pond, this property is easily recognized as a relaxing retreat. The cabin is charming and well organized, with an open concept of a kitchen, dining room, and great room. High ceilings add volume, and the rear bedroom suite has a private bedroom and a bunk room, sleeping a total of 6 to 8 guests. A bathroom is accessed from both the great room and bedroom suites, while a wood stove is central to the great room for cracking fires and winter heat. The covered porch is a great place to start a morning with coffee or enjoy a refreshing summer iced tea overlooking the pond. A new dock was installed and can also be a perfect spot to anchor some Adirondack chairs and relax. A trail network courses through the property, providing access to hunting locations and food plot opportunities. Well taken care of and providing sanctuary from the bustle of city life, this is a wonderful place to retreat to for weekends, deer camp, or extended summer stays. ADDITIONAL INFORMATION: Road frontage 2880'on Keenan Road, Cabin, 40 x 26 w metal roof and covered porch, Garage 16 x 20 w power, Pond, New dock, Food Plots, Groomed yard space Trails, Access, Mature trees, $26,000 timber value, Deer Hunting excellent, Electric on site - 200 amps, Septic - 1000 gal tank, Water catchment system, Wood stove, Baseboard heaters, Most cabin contents stay GMO's Do not convey, Taxes (2023) $2,873, Sold AS IS

Details

  • Road frontage 2880' on Keenan Road
  • Cabin, 40 x 26 with metal roof and covered porch, garage 16 x 20 with power
  • Pond, new dock, food plots, groomed yard space and trails
  • Access, mature trees, $26,000 timber value, deer hunting excellent
  • Electric on site - 200 amps, septic - 1000 gal tank, water catchment system
  • Wood stove, baseboard heaters, most cabin contents stay
  • GMO's Do not convey, Sold AS IS
  • MLS #11291286

Summary

Land Type

Hunting and Recreational, Home on Acreage

Activities on Property

Hunting, Fishing

Type of Home

Residential

Waterfront

Pond (0-3 acres)

Wild Game

Small Game, Big Game

Improvements/Features

Small Game, Big Game

Recent Property Improvements

Food plot, Trail network

Roads

Road Frontage

Road Surface

Dirt

Land and Farm Property Types

Land - Hunting, Land - Recreational, Land - Residential

Land Details

Pond

Property Type

Recreational Land, Residential Land, Hunting Land

Outbuildings

Garage

Other Property Details

Coordinates

42.07855, -77.69758

Annual Taxes

$2,873

Sold Property

For more information or to see additional properties currently for sale see Paul Vaicunas's listings.

Nearby Related Properties


For Sale
$214,900 95.6 acres ±
Allegany County • Wellsville, NY 14895
For Sale
$44,900 5.25 acres ±
Allegany County • Andover, NY 14806
For Sale
$49,900 6.2 acres ±
Allegany County • Andover, NY 14806
For Sale
$44,900 5.25 acres ±
Allegany County • Andover, NY 14806
For Sale
$44,900 5.25 acres ±
Allegany County • Andover, NY 14806
For Sale
$299,999 95.2 acres ±
Allegany County • Wellsville, NY 14895
For Sale
$50,400 0.17 acres ±
Allegany County • Wellsville, NY 14895
New
$49,900 0.55 acres ±
Steuben • Woodhull, NY 14898
Stay Connected

Be Part of a Thriving Land Community!

Get the same expert advice, property strategies, and land management tips that thousands of landowners trust. Subscribe now and stay ahead in the market.