Sold

Great Hunting Tract with Cabin In Oklahoma

Acreage

80 ±

County

Logan

SOLD

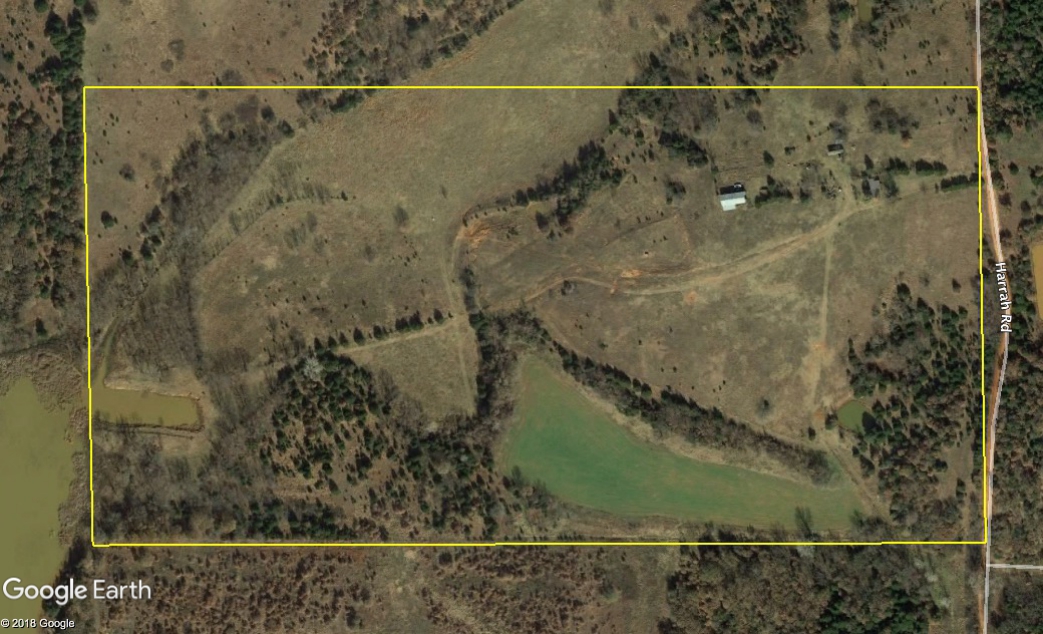
Address Harrah Road, Lot #WP001 Meridian, OK 73058

View on Google Maps

Description

PRICE REDUCED! Beautiful rolling terrain, cattle grazing opportunities, and some of the finest whitetail hunting you can currently find less than an hour from the big city. No matter what your goals are, this property is sure to check that box. Drive through the current gate and pull up to the older mobile home already in place and keep using it as a hunting cabin, or drive to the high point just beyond and build your dream home overlooking the surrounding area and your own piece of heaven. If hunting is your primary goal, enjoy the 6+ acre food plot already in place planted in wheat that is absolutely covered in deer tracks. There are also several other great locations offering plenty of chances to strategically hunt different winds and travel corridors. If cattle are more your thing, simply fence off the north side of the property and you are ready to throw your own cows out and start grazing. There is a current cattle lease in place that runs on this property as well as the north 80 as there is currently no fence between the properties. That lease could be continued or you could do your own thing. Cross fencing is in place to keep the cows off of the food plot and away from the house should you want to take advantage of both hunting and cattle. To the west of this property is a large lake sitting on the neighboring 160 acres, but a a cove of the lake does come on to the property meaning you can enjoy some excellent fishing for bass and catfish, or simply enjoy the spot for an afternoon picnic. If you are looking for a place close to town for either hunting, cattle, or maybe a combination of both, you have got to check this place out today!

Details

  • Great hunting & cattle property including a 10 acre food plot
  • Large hay barn provides plenty of storage space for equipment, hunting accessories and more
  • Older mobile home in place could be used as a hunting cabin, or build your dream home on one of the high points overlooking the property
  • Some cross fencing in place and a current cattle lease provide some income potential, or add fence to the north side and run your own cattle
  • Great fishing in the cove of a neighboring property lake
  • Located only 20 miles to Guthrie; less than 1 hour from Oklahoma City
  • Mobile home is being offered as-is; utilities already in place
  • Surface only

Summary

Land Type

Hunting and Recreational

Property Type

Recreational Land, Hunting Land

Land and Farm Property Types

Land - Hunting, Land - Recreational

Other Property Details

Coordinates

35.8344, -97.163

Annual Taxes

$0

Sold Property

For more information or to see additional properties currently for sale see Sean O'Grady's listings.

Nearby Related Properties


For Sale
$499,000 45.81 acres ±
Payne County • Stillwater, OK 74074
For Sale
$375,000 33.71 acres ±
Payne County • Stillwater, OK 74074
For Sale
$199,000 35 acres ±
Lincoln County • Tryon, OK 74875
For Sale
$480,000 40 acres ±
Logan County • Guthrie, OK 73044
For Sale
$110,000 14.87 acres ±
Payne County • Glencoe, OK 74032
For Sale
$299,500 47.8 acres ±
Creek County • Shamrock, OK 74068
For Sale
$317,520 79.38 acres ±
Creek County • Drumright, OK 74030
Reduced
$265,000 10.01 acres ±
Cleveland County • Oklahoma City, OK 73165

Be Part of a Thriving Land Community!

Get the same expert advice, property strategies, and land management tips that thousands of landowners trust. Subscribe now and stay ahead in the market.