Sold

Premier Hunting Parcel With Rented Farm Home In Central WI

Acreage

160 ±

County

Adams

SOLD

Address 821 Edgewood Ave, lot#WP001 Adams, WI 53910

View on Google Maps

Description

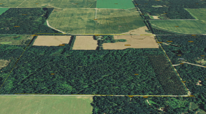
Surrounded on three sides by blacktopped roads and power, this premium hunting property includes nearly 38 acres of tillable ground, (presently rented) and a nice older 3-bedroom home which is also presently rented. The barn dates back to the 1800s with hand-hewn beams and is in great condition. The timbered lands are beautifully forested with ample undergrowth. The property has a nice creek running through it and a great deer and turkey presence. The road system is about as good as it gets. Three gated entrances allow you to easily take your truck down any of the roads. Towering White Pine and oak are the main species. This area is one of the state’s best recreational areas. Golf, water sports, winter sports, ATV roads, and trails are all within minutes of this property. Wisconsin Dells is just a short drive away, so this location is ideal for year-round recreation. The rent of the land and home will assist you in the payment of taxes and principal. This is one of the best larger parcels to come available is some time. Don’t miss out. Give us a call today!

Details

  • Near Grand Marsh
  • About 1.5 hours to Fox Valley area
  • About 1 hour, 20 minutes to Madison
  • About 3.5 hours to Chicago
  • About 2.5 hours to Milwaukee
  • Huge ATV and snowmobile county
  • Boating and fishing just minutes away on Castle Rock Lake
  • Property has potential to split into 40-acre parcels
  • Close to Adams Health Care Facility
  • Only 30 minutes to Wisconsin Dells
  • Great deer and turkey hunting
  • Impressive trail system
  • Nice year-round creek
  • Great income from farmland and home

Summary

Features

Tillable, Wild Game, Whitetail, Turkey, Upland Game, Waterfront, Creek, Pond (0-3 acres), Home, Improvements, Food Plot, Investment, Pasture, Bear, Fish, Wetlands, Big Game, Small Game, Grouse, Other Game, Bass, Panfish, Roads, Road Frontage, County Road, Road Access, Pavement, Tillable / Production Acres, Pine Trees, Hardwood Trees, Softwood Trees, Corn, Oats, Wheat, Soybeans, Alfalfa, Clover, Hay, Housing, Hunting Improvements, Tree Stands, Recreational Improvements, Trail Network, Infrastructure Improvements, Internal Road System, Wells/Pumps, Building Improvements, Shop, Barn, Gated Entrance, Utilities, Electric, Propane, Area Features, Public Hunting, Boat Ramp, Public Fishing, Public Access Area, Marina, RV Park, Camping/Campground, Golf Course, Airport, Activities on Property, Hunting, Fishing, Hiking, ATV Riding, Horseback Riding, Camping, Family Activities, Biking, Snowmobiling, Tillable, Wild Game, Whitetail, Turkey, Upland Game, Waterfront, Creek, Pond (0-3 acres), Home, Improvements, Food Plot, Investment, Pasture, Bear, Fish, Wetlands, Big Game, Small Game, Grouse, Other Game, Bass, Panfish, Roads, Road Frontage, County Road, Road Access, Pavement, Tillable / Production Acres, Pine Trees, Hardwood Trees, Softwood Trees, Corn, Oats, Wheat, Soybeans, Alfalfa, Clover, Hay, Housing, Hunting Improvements, Tree Stands, Recreational Improvements, Trail Network, Infrastructure Improvements, Internal Road System, Wells/Pumps, Building Improvements, Shop, Barn, Gated Entrance, Utilities, Electric, Propane, Area Features, Public Hunting, Boat Ramp, Public Fishing, Public Access Area, Marina, RV Park, Camping/Campground, Golf Course, Airport, Activities on Property, Hunting, Fishing, Hiking, ATV Riding, Horseback Riding, Camping, Family Activities, Biking, Snowmobiling

Road Frontage

County Road

Road Surface

Pavement

Outbuildings

Shop, Barn

Land Details

Tillable, Pond, Pasture, Hay

Improvements/Features

Big Game, Upland Game, Food Plot, Fish, Wetlands, Small Game, Tree Stands/Blinds, Trail Network, Internal Road System, Gated Entrance

Land Type

Hunting and Recreational, Home on Acreage

Land and Farm Property Types

Land - Hunting, Land - Recreational, Land - Residential

Property Type

Recreational Land, Residential Land, Hunting Land

Other Property Details

Utilities
  • electric: onsite
  • propane: onsite
Coordinates

43.8748, -89.7433

Annual Taxes

$1,700

Sold Property

For more information or to see additional properties currently for sale see Brian Ruesch's listings.

Nearby Related Properties


Reduced
$1,399,900 263.17 acres ±
Adams County • Friendship, WI 53934
For Sale
$189,900 22.09 acres ±
Adams County • Friendship, WI 53934
Reduced
$284,900 25.13 acres ±
Adams County • Wisconsin Dells, WI 53965
For Sale
$55,900 1.53 acres ±
Juneau County • Necedah, WI 54646
Reduced
$233,900 16.27 acres ±
Adams County • Hancock, WI 54943
Reduced
$294,900 105.5 acres ±
Juneau County • New Lisbon, WI 53950
Reduced
$800,000 39.48 acres ±
Adams County • Nekoosa, WI 54457
New
$1,434,700 143.47 acres ±
Portage County • Bancroft, WI 54912
Stay Connected

Be Part of a Thriving Land Community!

Get the same expert advice, property strategies, and land management tips that thousands of landowners trust. Subscribe now and stay ahead in the market.