Sold

Beautiful Rolling Hill Property With Tillable fields

Acreage

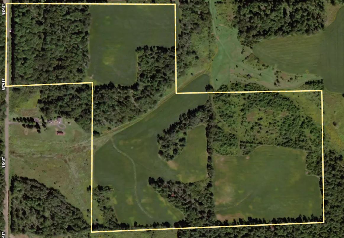
93 ±

County

Barron

SOLD

Address 18th St, Lot#WP001 Chetek, WI 54728

View on Google Maps

Description

The rolling hills on this property are outstanding and create great views. The northwest corner would make for a great home or cabin sight giving you a picturesque overlook of the valley. Please call for your private showing of this parcel filled with wildlife. The area is known for big bucks and a wide variety of wildlife. This is a great opportunity to own your own hunting land and still not be too far from Eau Claire or the Twin Cities. Please call for your private showing of this parcel filled with wildlife.

Details

  • Big buck territory
  • No government programs
  • Income-producing tillable acres
  • Turkey hunting
  • Near the Chetek chain of lakes
  • About 60 minutes from Eau Claire
  • About 90 minutes from the Twin Cities

Summary

Improvements/Features

Big Game, Wetlands, Small Game

Features

Tillable, Wild Game, Whitetail, Turkey, Waterfront, Creek, Investment, Bear, Wetlands, Big Game, Small Game, Other Game, Roads, Road Frontage, County Road, Road Access, Gravel, Tillable / Production Acres, Pine Trees, Hardwood Trees, Softwood Trees, Utilities, Electric, Area Features, Public Hunting, Boat Ramp, Public Fishing, Public Access Area, RV Park, Camping/Campground, Golf Course, Airport, Activities on Property, Hunting, Hiking, ATV Riding, Horseback Riding, Camping, Family Activities, Biking, Snowmobiling

Road Frontage

County Road

Road Surface

Gravel

Land Details

Tillable

Land Type

Hunting and Recreational

Land and Farm Property Types

Land - Hunting, Land - Recreational

Property Type

Recreational Land, Hunting Land

Other Property Details

Coordinates

45.293, -91.7875

Annual Taxes

$1,914

Sold Property

For more information or to see additional properties currently for sale see Chris Polfus's listings.

Nearby Related Properties


New
$70,000 6.1 acres ±
Barron County • Chetek, WI 54728
For Sale
$1,725,000 80 acres ±
Dunn County • Prairie Farm, WI 54762
For Sale
$1,282,000 58 acres ±
Dunn County • Prairie Farm, WI 54762
For Sale
$443,000 22 acres ±
Dunn County • Prairie Farm, WI 54762
Reduced
$835,000 105.89 acres ±
Polk County • Amery, WI 54001
For Sale
$275,000 25.91 acres ±
Polk County • Amery, WI 54001
For Sale
$320,000 39.86 acres ±
Polk County • Amery, WI 54001
For Sale
$268,000 40.12 acres ±
Polk County • Amery, WI 54001
Stay Connected

Be Part of a Thriving Land Community!

Get the same expert advice, property strategies, and land management tips that thousands of landowners trust. Subscribe now and stay ahead in the market.