Sold

Great Hunting & Recreation In Northwest WI

Acreage

40 ±

County

Washburn

SOLD

Address W4410 County Hwy D, Lot#WP001 Sarona, WI 54870

View on Google Maps

Description

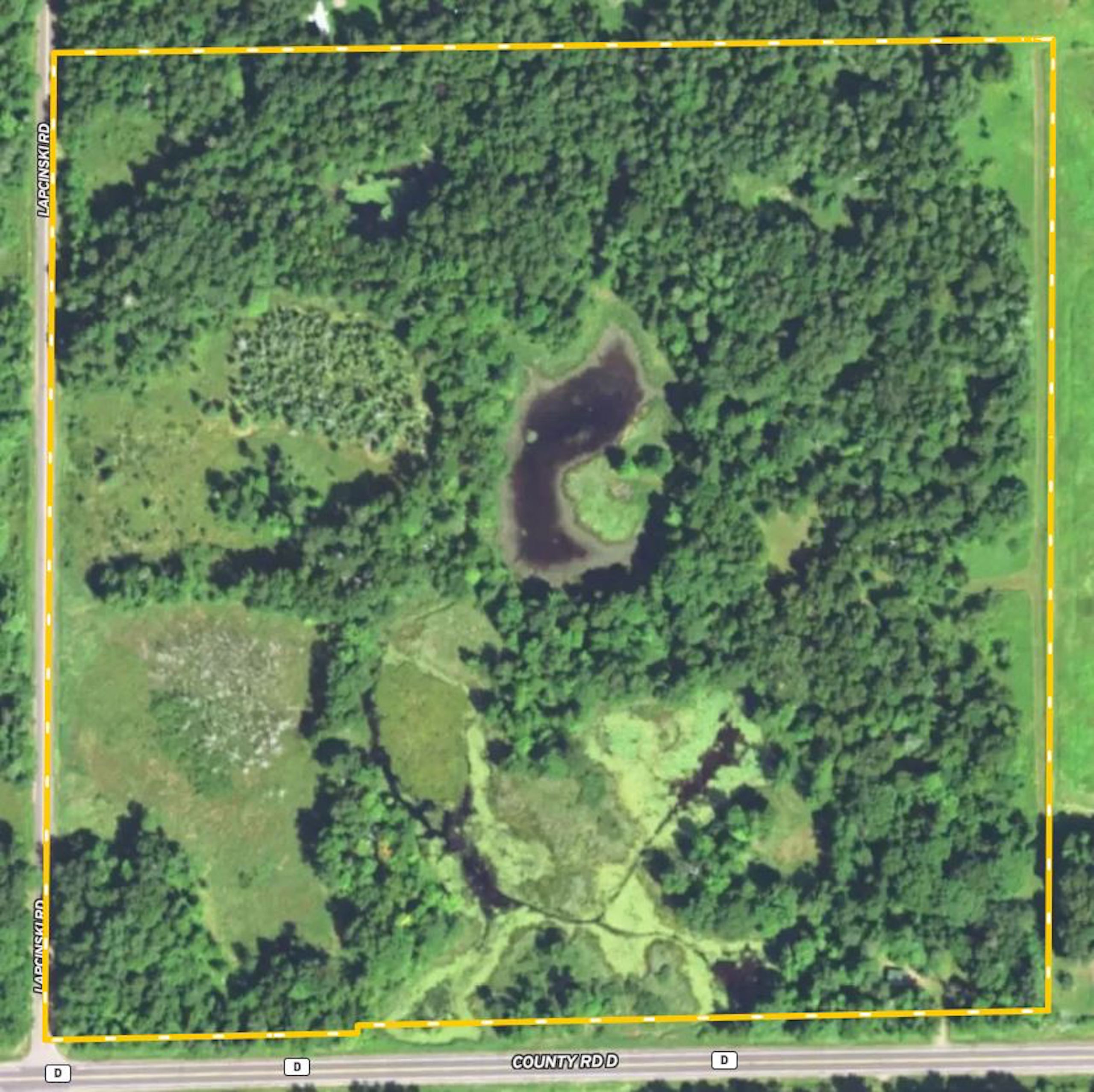
This beautiful property is great getaway and hunting opportunities right out the front door. The contoured ponds make for a picturesque setting. There’s a small food plot with several fruit trees in them. A tall enclosed blind overlooks the plot. A manicured trail runs along the one side of the property and loops back in to the ponds and food plot. There are two garden sheds near the cabin. With fields on one side, the deer paths are evident. The forest floor is thick with plants and shrubs which provide excellent cover and bedding for wildlife. Only a half a mile from Long Lake which is an outstanding fishery and almost 3,500 acres in size. If you are interested in taking a look at this property, don’t wait! Give me a call to schedule your private showing!

Details

  • Trail system
  • A couple of ponds for waterfowl and trapping
  • Quaint cabin w/2 year old metal roof
  • Electricity to the cabin with A/C
  • 11 miles east of Shell Lake, 2 hours east of the Twin Cities, 1.5 hours south of Duluth
  • $956.60 taxes

Summary

Improvements/Features

Big Game, Waterfowl, Upland Game, Tree Stands/Blinds, Food Plot, Small Game, Trail Network

Features

Wild Game, Whitetail, Waterfowl, Turkey, Upland Game, Waterfront, Pond (0-3 acres), Improvements, Blinds, Food Plot, Investment, Bear, Cabin, Big Game, Small Game, Grouse, Other Game, Duck, Geese, Roads, Road Frontage, County Road, Road Access, Dirt, Tillable / Production Acres, Pine Trees, Hardwood Trees, Softwood Trees, Housing, Hunting Improvements, Recreational Improvements, Trail Network, Utilities, Electric, Area Features, Public Hunting, Boat Ramp, Public Fishing, Public Access Area, RV Park, Camping/Campground, Golf Course, Airport, Activities on Property, Hunting, Hiking, Boating, ATV Riding, Horseback Riding, Camping, Family Activities, Biking, Snowmobiling

Road Frontage

County Road

Road Surface

Dirt

Land Details

Pond

Land Type

Hunting and Recreational, Timberland, Waterfowl

Land and Farm Property Types

Land - Hunting, Land - Recreational, Timberland - Natural

Property Type

Recreational Land, Timberland, Hunting Land

Other Property Details

Coordinates

45.6965, -91.7599

Annual Taxes

$958

Sold Property

For more information or to see additional properties currently for sale see Chris Polfus's listings.

Nearby Related Properties


New
$90,000 10 acres ±
Washburn County • Trego, WI 54888
For Sale
$400,000 39.88 acres ±
Burnett County • Webster, WI 54893
For Sale
$70,000 6.1 acres ±
Barron County • Chetek, WI 54728
Reduced
$995,000 960 acres ±
Sawyer County • Exeland, WI 54835
New
$219,000 16.25 acres ±
Rusk County • Ladysmith, WI 54848
Reduced
$1,309,000 374 acres ±
Sawyer County • Ojibwa, WI 54862
For Sale
$395,000 39.15 acres ±
Burnett County • Danbury, WI 54830
Reduced
$800,000 275.61 acres ±
Sawyer County • Hayward, WI 54843
Stay Connected

Be Part of a Thriving Land Community!

Get the same expert advice, property strategies, and land management tips that thousands of landowners trust. Subscribe now and stay ahead in the market.