Sold

Combination Tillable And Timber Farm Near Marshall Junction

Acreage

86.92 ±

County

Pettis

SOLD

Address Highway Z, Lot #WP001 Nelson, MO 65347

View on Google Maps

Description

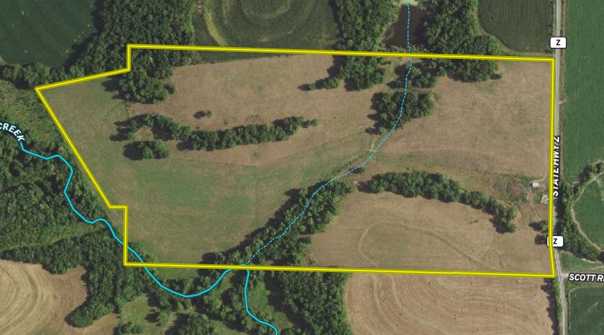
Here is a farm that has many possibilities. This farm is going into row-crop production this next year with approximately 50 acres of soybeans being planted. The combination of beans and timber will make a premier rec farm. The access for the farm is blacktop and on the east, making for easy access and accessibility to your stand with the prevailing west wind. The timbered draws and elevation changes give you many possible stand and food plot locations. This farm is currently fenced with a cross fence. It also has a lot/corral for penning up cattle to load out or to work them. A three-sided building is open to the south to work cattle out of or store equipment. It is ready to run cattle on if you so desire. The blacktop frontage makes this a desirable farm to build on with electricity at the road. This is a farm with many possibilities that will appeal to many buyers. Call Land Specialist Travis Heman with questions or to schedule a showing.

Details

  • Farm is completely fenced and cross fenced
  • 50 acres being planted to soybeans
  • The remainder in timbered draws
  • Will make a great rec farm
  • Blacktop frontage
  • Great place to build a house or cabin
  • Ready for livestock
  • Lot/corral in place
  • 3-sided shed, open to the south

Summary

Land Type

Hunting and Recreational, Ranch and Farm

Property Type

Farms, Recreational Land, Hunting Land

Land and Farm Property Types

Agriculture - Farm, Agriculture - Pasture/Ranch, Land - Hunting

Road Frontage

State Highway

Road Surface

Blacktop/Asphalt

Fencing

Cross, Low

Outbuildings

Metal

Land Details

Pasture, Timber, Tillable, Grass

Improvements/Features

Small Game, Big Game, Upland Game, Predators

Other Property Details

Coordinates

38.8889, -93.0902

Annual Taxes

$86

Sold Property

For more information or to see additional properties currently for sale see Travis Heman's listings.

Nearby Related Properties


Fall Out
$447,720 56 acres ±
Pettis County • Hughesville, MO 65334
For Sale
$1,100,000 85.54 acres ±
Cooper County • Boonville, MO 65233
Reduced
$162,000 13 acres ±
Howard County • Fayette, MO 65248
For Sale
$1,299,000 175 acres ±
Howard County • Fayette, MO 65248
New
$277,750 50.5 acres ±
Randolph County • Higbee, MO 65257
For Sale
$310,000 44 acres ±
Howard County • Harrisburg, MO 65256
Reduced
$750,000 2.82 acres ±
Benton County • Lincoln, MO 65338
Reduced
$5,500,000 188.7 acres ±
Boone County • Columbia, MO 65202
Stay Connected

Be Part of a Thriving Land Community!

Get the same expert advice, property strategies, and land management tips that thousands of landowners trust. Subscribe now and stay ahead in the market.