For sale $364,900 · 104± Acres

Allegany County

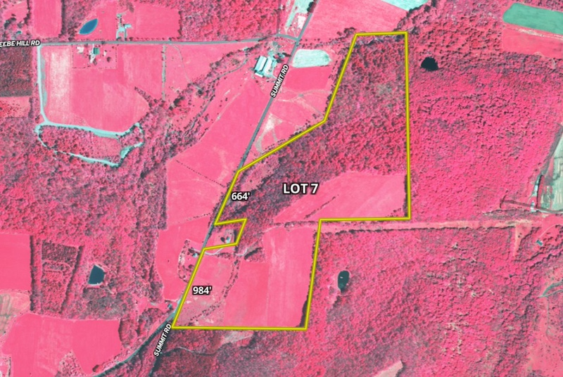
104+/- Acres Of Prime Farmland, Hardwoods And Hunting

V/L Summit Road, Lot#WP007 Cuba, NY 14727

Description

Discover the beauty and exceptional potential of this 104-acre recreational and agricultural property, where open farmland and mature hardwood forest come together to create a truly versatile countryside retreat. Tucked away for privacy yet easily accessible by a shared roadway and a private access road, the land offers a peaceful setting well-suited for farming, hunting, and relaxation. The property features three productive fields, including one lower field and two upper fields with views, providing excellent opportunities for agricultural use, pasture, or food plots. Complimenting the fields is an impressive 53-acre +/- stand of mature hardwoods, offering long-term timber value, scenic beauty, and outstanding wildlife habitat. Outdoor enthusiasts will appreciate the strong presence of deer and other game that regularly move through the fields and forest, making this property an ideal hunting destination. The combination of open ground and wooded acreage also creates an excellent setting for a cabin or retreat, with the potential for sweeping views of the surrounding countryside. Whether your vision includes agricultural production, recreational enjoyment, timber management, or generating income through land leasing, this property offers the flexibility to support it all. If agriculture is your primary interest, there are two sister lots (#9 & #10) that connect to this property to expand your tillable presence. With its balanced mix of fields and forest, quiet surroundings, and strong access, this land stands out as both a rewarding country getaway and a solid long-term investment opportunity. Call today for more details or to schedule a showing! ADDITIONAL INFORMATION: Timber and GMO rights convey, Tillable acres, Electric at the road, 4.55 miles to Cuba, 2.93 miles to Friendship, 3.1 miles to I-86. Taxes $TBD. Buyer agent must be present on all showings. Do not send clients out without accompanying them. Disclaimer: Map illustrations are for reference purposes only and not the representations of the Listing agent or brokerage Whitetail Properties Real Estate LLC. Illustrations are provided by Land ID. Parties should be advised to confirm Illustrations with licensed professional service providers.


Summary

Address

V/L Summit Road, Lot#WP007

Cuba, NY 14727

Allegany County

Get Directions

Approximate Distances

4.55 mi Cuba
2.93 mi Friendship
3.1 mi I-86

Property

Property Type
Recreational Land, Undeveloped Land, Hunting Land
Road Frontage
County Road

Land Details

Timber

Improvements/Features

Small Game, Big Game, Seller's Mineral Rights Convey


Details

  • 104+/- acres located in Allegany County
  • Combination of productive farmland and mature hardwood forest
  • Three open fields including one lower field and two upper fields with views
  • Approximately 53+/- acres of mature hardwood timber
  • Strong deer and wildlife activity throughout the property
  • Suitable for agriculture, hunting, recreation, or future building sites
  • Access provided by a shared roadway and a private access road
  • Electric available at the road
  • Timber and GMO rights convey
  • Buyer agent must be present on all showings, please do not send clients out without accompanying them
  • NYS MLS #11623388

Other

Coordinates

42.1982, -78.19405

Annual Taxes

$0

Paul Vaicunas

Brandon Scott

Nearby Related Properties


For Sale
$59,900 16.85 acres ±
Allegany County • Cuba, NY 14727
For Sale
$29,900 3.79 acres ±
Allegany County • Cuba, NY 14727
For Sale
$24,900 2.96 acres ±
Allegany County • Cuba, NY 14727
For Sale
$66,900 22.3 acres ±
Allegany County • Cuba, NY 14727
For Sale
$24,900 3.26 acres ±
Allegany County • Cuba, NY 14727
For Sale
$29,900 4.41 acres ±
Allegany County • Cuba, NY 14727
For Sale
$24,900 3.64 acres ±
Allegany County • Cuba, NY 14727
For Sale
$29,900 4.29 acres ±
Allegany County • Cuba, NY 14727
Stay Connected

Be Part of a Thriving Land Community!

Get the same expert advice, property strategies, and land management tips that thousands of landowners trust. Subscribe now and stay ahead in the market.