For sale $66,900 · 22.3± Acres

Allegany County

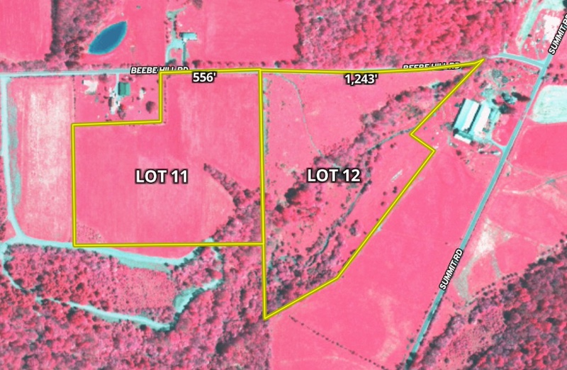
22.3+/- Acres Of Pasture Land With Views And Building Potential

V/L Beebe Hill Road, Lot#WP012 Cuba, NY 14727

Description

This 22.3+/- acre property sits high on Beebe Hill Road overlooking farm fields and hills with a south-facing view. Currently, this property is used for pasture ground but offers an excellent opportunity for expanded agricultural use, future development, or a country home with ample road frontage of 1,243 feet. The land is well laid out for efficient farming while also offering flexibility for a variety of other uses. There is a sister lot (#11) connecting to this parcel that is prime hay ground if you choose to expand your ag land or a building site. Build a home or have a barn on Lot 12, and farm Lot 11. With convenient access and a field layout, this is a nice parcel with multiple use possibilities. Call today for more details or to schedule a showing! ADDITIONAL INFORMATION: Timber and GMO rights convey, Tillable acres, Electric at the road, 3.85 miles to Cuba, 2.72 miles to Friendship, 3.1 miles to I-86. Taxes $TBD. Buyer agent must be present on all showings. Do not send clients out without accompanying them. Disclaimer: Map illustrations are for reference purposes only and not the representations of the Listing agent or brokerage Whitetail Properties Real Estate LLC. Illustrations are provided by Land ID. Parties should be advised to confirm Illustrations with licensed professional service providers.


Summary

Address

V/L Beebe Hill Road, Lot#WP012

Cuba, NY 14727

Allegany County

Get Directions

Approximate Distances

3.85 mi Cuba
2.72 mi Friendship
3.1 mi I-86

Improvements/Features

Seller's Mineral Rights Convey


Details

  • 22.3+/- acres of open pasture ground
  • Elevated setting with south-facing views
  • Approximately 1,243 feet of road frontage
  • Efficient field layout with convenient access
  • Electric available at the road
  • Sister lot available for agricultural or building expansion
  • Timber and GMO rights convey
  • Buyer agent must be present on all showings, please do not send clients out without accompanying them

Other

Coordinates

42.1968, -78.1999

Annual Taxes

$0

Paul Vaicunas

Brandon Scott

Nearby Related Properties


For Sale
$29,900 3.79 acres ±
Allegany County • Cuba, NY 14727
For Sale
$24,900 2.96 acres ±
Allegany County • Cuba, NY 14727
For Sale
$59,900 16.85 acres ±
Allegany County • Cuba, NY 14727
For Sale
$364,900 104 acres ±
Allegany County • Cuba, NY 14727
For Sale
$24,900 3.26 acres ±
Allegany County • Cuba, NY 14727
For Sale
$29,900 4.41 acres ±
Allegany County • Cuba, NY 14727
For Sale
$24,900 3.64 acres ±
Allegany County • Cuba, NY 14727
For Sale
$29,900 4.29 acres ±
Allegany County • Cuba, NY 14727
Stay Connected

Be Part of a Thriving Land Community!

Get the same expert advice, property strategies, and land management tips that thousands of landowners trust. Subscribe now and stay ahead in the market.