Sold

Hill Top Hideaway With Views In Friendship, NY

Acreage

50.7 ±

County

Allegany

SOLD

Address 7524 N Branch Road Friendship, NY 14739

View on Google Maps

Description

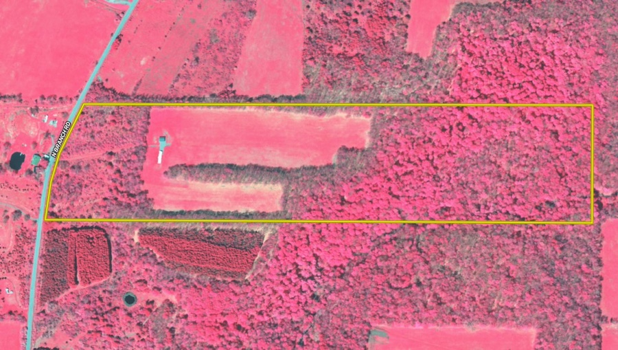
We are pleased to present this property, situated at a private hilltop hideaway, offers a peaceful and secluded retreat that is not visible from the road. It provides an ideal setting for personal enjoyment, with the added potential for income generation. Located just a short distance from the towns of Cuba and Friendship, New York, this property provides stunning panoramic views from its elevated position. The land is home to a well-maintained 980-square-foot single-wide home, a two-bay detached garage, and beautifully groomed lawns surrounded by diverse natural landscapes, offering both privacy and aesthetic appeal. The home, constructed in 1990, is in excellent condition and includes essential utilities such as electric service, well water, and a septic system. It sits at the top of a gravel and grass driveway that winds up the hill, ensuring privacy and easy access. The detached two-bay garage is positioned opposite the home and enjoys its own landscaped area. Recently, the property underwent a timber harvest, which has opened up the canopy while maintaining its wooded areas. A network of established ATV trails runs through the property, offering convenient access for outdoor recreation and hunting stand locations. This property offers two fields of native grasses and hay, which present the opportunity for rental income or use for grazing purposes. In addition to the fields, the land is wooded, providing a haven for wildlife and an excellent environment for hunting, particularly deer and turkey. The recent timber harvest has cleared some areas of the forest, creating open spaces while preserving the integrity of the remaining woods. The property enjoys a convenient location, just a short drive from the towns of Cuba and Friendship, with easy access to Highway I-86. Nearby attractions include Cuba Lake and Rushford Lake, which offer recreational opportunities such as fishing, boating, and hiking. Despite its seclusion, the property is close enough to these towns and lakes to enjoy both tranquility and easy access to services and activities. This property is perfect for someone seeking a private, serene getaway surrounded by nature. The stunning sunrises and sunsets visible from the hilltop further enhance the appeal of this peaceful location. The buyer will also receive any existing GMOs associated with the land. The gravel and grass driveway provides year-round access, making it a great option for both seasonal and full-time living. Whether you're looking for a retreat to call your own or a property with income potential, this hilltop hideaway offers a rare combination of privacy, natural beauty, and outdoor opportunities. ADDITIONAL INFORMATION Close to town, GMOs convey, Taxes $3,039 (2024), Mobile home 70 x 14 (1990) Garage 24 x 32, 1.5 miles to Friendship, NY, 5.6 miles to Cuba, NY, 6.4 miles to Belmont, NY, Tractor, ATV and brush hog available for sale. Sold AS IS Disclaimer: Map illustrations are for reference purposes only and not the representations of the Listing Agent or brokerage Whitetail Properties Real Estate LLC. Illustrations are provided by Land ID. Parties should be advised to confirm Illustrations with licensed professional service providers.

Details

  • GMOs convey
  • Close to town
  • Mobile home 70 x 14 (1990)
  • Garage 24 x 32
  • Tractor, ATV and brush hog available for sale
  • SOLD AS IS
  • MLS #11362215

Summary

Nearby Features

Public Fishing, Boat Ramp

Land Type

Hunting and Recreational, Home on Acreage

Activities on Property

Hunting, Hiking, ATV Riding, Family Activities

Outbuildings

Garage

Type of Home

Residential

Road Surface

Gravel

Roads

Road Frontage

Wild Game

Upland Game, Small Game, Big Game

Land and Farm Property Types

Land - Hunting, Land - Recreational, Land - Residential

Property Type

Recreational Land, Residential Land, Hunting Land

Land Details

Timber, Grass, Hay

Improvements/Features

Small Game, Big Game, Upland Game, Trail Network, Seller's Mineral Rights Convey

Recent Property Improvements

Trail network

Feeds

Lands of America

Other Property Details

Utilities
  • electric: onsite
  • water: onsite
  • sewer: onsite
Coordinates

42.2238, -78.16487

Annual Taxes

$3,039

Sold Property

For more information or to see additional properties currently for sale see Paul Vaicunas's listings.

Nearby Related Properties


Reduced
$69,900 20.91 acres ±
Allegany County • Friendship, NY 14739
For Sale
$29,900 4.41 acres ±
Allegany County • Cuba, NY 14727
For Sale
$24,900 3.26 acres ±
Allegany County • Cuba, NY 14727
For Sale
$24,900 3.64 acres ±
Allegany County • Cuba, NY 14727
For Sale
$29,900 4.29 acres ±
Allegany County • Cuba, NY 14727
For Sale
$364,900 104 acres ±
Allegany County • Cuba, NY 14727
For Sale
$59,900 16.85 acres ±
Allegany County • Cuba, NY 14727
For Sale
$66,900 22.3 acres ±
Allegany County • Cuba, NY 14727
Stay Connected

Be Part of a Thriving Land Community!

Get the same expert advice, property strategies, and land management tips that thousands of landowners trust. Subscribe now and stay ahead in the market.