For sale $24,900 · 2.96± Acres

Allegany County

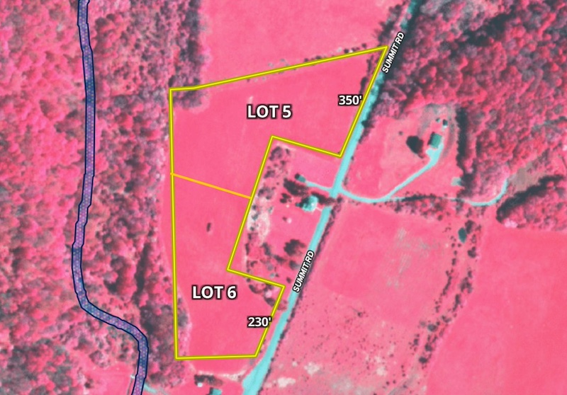
Picturesque Building Lot In Cuba, NY - Lot 6

V/L Summit Road, Lot#WP006 Cuba, NY 14727

Description

Just minutes east of Cuba and minutes west of Friendship, this lot is one of two western exposure lots perched on the crown of a hill, offering views of pastures and hills to the west. Imagine mornings overlooking fall color or evenings enjoying sunsets on this quiet road. The road frontage is maintained, and electric service and internet are available at the road. Currently, the property has been an ag field, so no meaningful landscaping is required to plan your dream home location. The property is gently sloped and high and dry of wetlands, where you might consider building a home. Just 4.55 miles from the charming town of Cuba and 2.93 miles to the town of Friendship, all of your conveniences are close by. If you are a commuter, the Southern Tier Expressway (I-86) is merely 3.1 miles away to larger city centers like Olean and Hornell. If hobby farming or if you're looking to start a farmette, combining both lots might be considered as well. Call today for more details or to schedule a showing! ADDITIONAL INFORMATION: Timber and GMO rights convey, Pastures, Electric at the road, 4.55 miles to Cuba, 2.93 miles to Friendship, 3.1 miles to I-86. Taxes $TBD. Building permits are subject to buyers approval from town authorities. Buyer agent must be present on all showings. Do not send clients out without accompanying them. Disclaimer: Map illustrations are for reference purposes only and not the representations of the Listing agent or brokerage Whitetail Properties Real Estate LLC. Illustrations are provided by Land ID. Parties should be advised to confirm. Illustrations with licensed professional service providers.


Summary

Address

V/L Summit Road, Lot#WP006

Cuba, NY 14727

Allegany County

Get Directions

Approximate Distances

4.55 mi Town of Cuba
2.93 mi Town of Friendship
3.1 mi Southern Tier Expressway I-80

Property

Property Type
Recreational Land, Undeveloped Land
Road Frontage
County Road

Utilities

electric
Nearby
internet
Nearby

Improvements/Features

Seller's Mineral Rights Convey


Details

  • Western exposure homesite with hilltop setting
  • Maintained road frontage
  • Electric and internet available at the road
  • Gently sloped, high and dry potential build areas
  • Currently open agricultural land
  • Minutes to Cuba and Friendship
  • Convenient access to I-86 for commuting
  • Timber and GMO rights convey
  • Buyer agent must be present on all showings, please do not send clients out without accompanying them
  • NYS MLS #11623135

Other

Coordinates

42.1968, -78.1999

Annual Taxes

$0

Paul Vaicunas

Brandon Scott

Nearby Related Properties


For Sale
$29,900 3.79 acres ±
Allegany County • Cuba, NY 14727
For Sale
$66,900 22.3 acres ±
Allegany County • Cuba, NY 14727
For Sale
$59,900 16.85 acres ±
Allegany County • Cuba, NY 14727
For Sale
$364,900 104 acres ±
Allegany County • Cuba, NY 14727
For Sale
$24,900 3.26 acres ±
Allegany County • Cuba, NY 14727
For Sale
$29,900 4.41 acres ±
Allegany County • Cuba, NY 14727
For Sale
$24,900 3.64 acres ±
Allegany County • Cuba, NY 14727
For Sale
$29,900 4.29 acres ±
Allegany County • Cuba, NY 14727
Stay Connected

Be Part of a Thriving Land Community!

Get the same expert advice, property strategies, and land management tips that thousands of landowners trust. Subscribe now and stay ahead in the market.