Sold

Quiet Ranch Home With Acreage In Arkwright, NY

Acreage

30 ±

County

Chautauqua

SOLD

Address 2567 Rt 83 Arkwright, NY 14063

View on Google Maps

Description

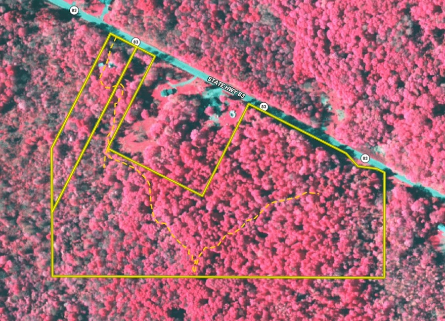
We are pleased to present this quiet country ranch home in Arkwright, NY. This is a private and hidden property just east of Arkwright, NY, on Route 83. Upon approach, the driveway (grass) enters the property and greets you with a charming 1978 ranch-style home with a detached garage. Shaded and hidden by maple trees, this immediately presents as a private lot for county living. The home has three heat sources and needs a little updating; however, it would make an excellent hunt camp property or would be enjoyed by a first-time home buyer or retired buyer. This property would be attractive to a sportsperson or recreational enthusiast looking for nature or deer hunting out your back door. A food plot is established but needs to be reworked. Shady Creek bottoms and hardwood ridges make up the habitat for deer. A trail was observed and mapped from a timber harvest long ago, but the trail provides access throughout most of the property. Additionally, this property last produced a hardwood timber harvest in 2007 (17 years ago) and could be ready for another harvest in future years. This property sale includes an annual revenue stream from an adjacent Wind Farm Good Neighbor Agreement until 2049—amount to be disclosed upon execution of NDA. The assignable agreement will convey to the purchaser. Priced well to sell, call us today! ADDITIONAL INFORMATION: 1330 Sqft Home, 1978 build - 2 Bedrooms, 2 Bathrooms, 1990 Addition, Shingle Roof, Two-Door Garage - detached with power, Three Heat Sources: Electric, Gas & Wood, Main Floor Laundry, On-demand Water Heater, Food plot, Trails, Deer Hunting excellent, Bear Hunting possible, Well, Septic, Electric, LP gas, Tree Stands included, Road Frontage 1,030', GMO's convey, Wind Good Neighbor Agreement, Taxes $2774 (2024), .48 miles to Arkwright, NY, 6.3 miles to Fredonia, NY, 5.7 miles to Cassadaga, NY, 9.1 miles to South Dayton, NY, Sold AS IS. Disclaimer: Map illustrations are for reference purposes only and not the representations of the Listing Agent or brokerage Whitetail Properties Real Estate LLC. Illustrations are provided by Land ID. Parties should be advised to confirm Illustrations with licensed professional service providers.

Details

  • 1030' road frontage
  • Excellent deer hunting
  • Tree stands included
  • Food plot and trails
  • Possible bear hunting
  • GMO's convey
  • Wind Good Neighbor Agreement
  • MLS #11356525

Summary

Land Type

Hunting and Recreational, Home on Acreage

Activities on Property

Hunting

Type of Home

Residential

Outbuildings

Garage

Property Type

Recreational Land, Residential Land, Timberland, Hunting Land

Land and Farm Property Types

Land - Hunting, Land - Residential, Timberland - Natural

Land Details

Timber

Improvements/Features

Small Game, Big Game, Food Plot, Tree Stands/Blinds, Seller's Mineral Rights Convey

Roads

Road Frontage

Tillable/Production Areas

Hardwood Trees

Wild Game

Small Game, Big Game

Recent Property Improvements

Food plot, Tree stand/Blinds

Feeds

Lands of America

Other Property Details

Utilities
  • electric: onsite
  • gas: onsite
Coordinates

42.169223, -79.317564

Annual Taxes

$2,774

Sold Property

For more information or to see additional properties currently for sale see Paul Vaicunas's listings.

Nearby Related Properties


For Sale
$14,900 0.85 acres ±
Chautauqua County • Sinclairville, NY 14782
New
$399,900 76.3 acres ±
Chautauqua County • Gerry, NY 14740
New
$399,900 99 acres ±
Chautauqua County • Gerry, NY 14740
For Sale
$724,900 144 acres ±
Chautauqua County • Cherry Creek, NY 14723
For Sale
$49,900 6.2 acres ±
Chautauqua County • Brocton, NY 14716
For Sale
$419,900 156 acres ±
Chautauqua County • Sherman, NY 14781
For Sale
$399,900 23 acres ±
Cattaraugus County • Frewsburg, NY 14738
For Sale
$99,000 24 acres ±
Warren County • Youngsville, PA 16371
Stay Connected

Be Part of a Thriving Land Community!

Get the same expert advice, property strategies, and land management tips that thousands of landowners trust. Subscribe now and stay ahead in the market.