Sold

Recreational And Hunting Property Near Bemus Point, NY

Acreage

52.8 ±

County

Chautauqua

SOLD

Address VL Ellery-Centralia Rd, Lot#WP001 Bemus Point, NY 14712

View on Google Maps

Description

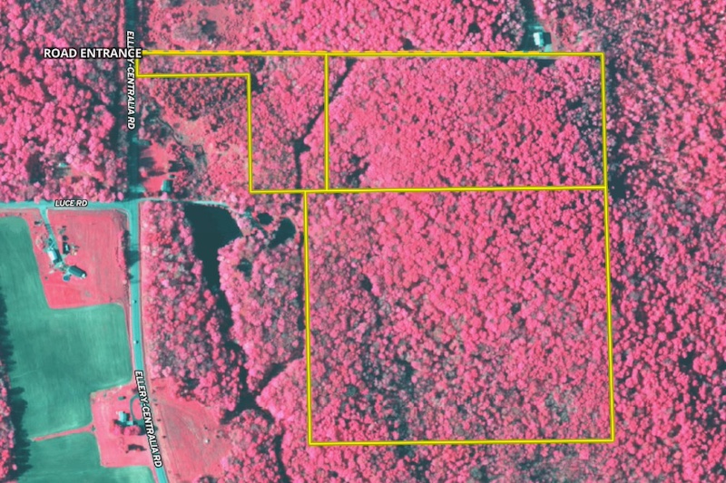
We are pleased to present a recreational and hunting property in Bemus Point, NY. Comprised of three parcels, this property provides an opportunity to hunt or build a private hunting or camping retreat. With an access road coursing the entire length of the northern property line, the new owner can select the portion of the property that best suits a building location or add access trails to any corner of the property. A food plot location is located on the west end of the property and has a convenient trail to connect to the main road. The property presents well as a deer hunting haven, having been logged a few years ago, and new growth of the understory is an obvious attraction to deer and other game. The crown of the hill has acres of wild blackberries and plenty of bedding cover for deer. Centrally located to Bemus Point, Mayville, Stockton, and Ellery Center, services like gas and groceries are just minutes away. Call today for a showing; it is priced well to sell. ADDITIONAL INFORMATION: Electric at the road, Timber rights convey, 3.3 miles to Bemus Point, NY, 8.5 miles to Mayville, NY, 2.2 miles to Ellery Center, NY, 5.2 miles to Sinclairville, NY, Sold AS IS. Buyer agents must be present at all showings. Do not send clients out without accompanying them. Disclaimer: Map illustrations are for reference purposes only and not the representations of the Listing Agent or brokerage Whitetail Properties Real Estate LLC. Illustrations are provided by Land ID. Parties should be advised to confirm Illustrations with licensed professional service providers.

Details

  • Timber rights convey
  • Hunting land
  • Building opportunities
  • SOLD AS IS
  • Buyer agent must be present on all showings; Do not send clients out without accompanying them
  • MLS #11382527

Summary

Land Type

Hunting and Recreational, Timberland

Improvements/Features

Small Game, Big Game, Food Plot

Activities on Property

Hunting, Camping, Family Activities

Wild Game

Small Game, Big Game, Other Game

Recent Property Improvements

Food plot

Road Surface

Dirt

Roads

Road Frontage

Land and Farm Property Types

Land - Hunting, Land - Recreational, Land - Undeveloped

Property Type

Recreational Land, Residential Land, Undeveloped Land, Hunting Land

Land Details

Timber

Other Property Details

Coordinates

42.218355, -79.360975

Annual Taxes

$2,877

Sold Property

For more information or to see additional properties currently for sale see Paul Vaicunas's listings.

Nearby Related Properties


For Sale
$14,900 0.85 acres ±
Chautauqua County • Sinclairville, NY 14782
New
$399,900 76.3 acres ±
Chautauqua County • Gerry, NY 14740
New
$399,900 99 acres ±
Chautauqua County • Gerry, NY 14740
For Sale
$49,900 6.2 acres ±
Chautauqua County • Brocton, NY 14716
For Sale
$724,900 144 acres ±
Chautauqua County • Cherry Creek, NY 14723
For Sale
$419,900 156 acres ±
Chautauqua County • Sherman, NY 14781
For Sale
$399,900 23 acres ±
Cattaraugus County • Frewsburg, NY 14738
For Sale
$2,299,900 64.9 acres ±
Chautauqua County • Clymer, NY 14724
Stay Connected

Be Part of a Thriving Land Community!

Get the same expert advice, property strategies, and land management tips that thousands of landowners trust. Subscribe now and stay ahead in the market.