Sold

Picturesque Building Lot Near Lake Erie In Dunkirk, Ny

Acreage

12 ±

County

Erie

SOLD

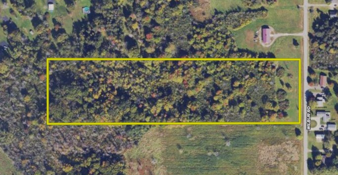
Address Wilbur Road, Lot#WP001 Dunkirk, NY 14048

View on Google Maps

Description

We are pleased to present this beautiful building lot with acres of woods at your back door. Just .39 miles south from the shores of Lake Erie, and .21 miles from Shorewood Golf Club, this pretty parcel is ready for you to build your dream home. The property conveniently has Electric, municipal water and natural gas at the road, and is already cleared and mowed for your home site. This parcel could be subdivided with town approval for multiple lots. If a bigger yard is in your plans, there is plenty of space to push back the woodlot of 12 acres to make more room or add a dimension of privacy with a secluded location back in the woods. You can catch a glimpse of Lake Erie from the road too. Priced well to sell, check this one out.

Details

  • 2.1 miles to city of Dunkirk
  • 2.2 miles to Point Gratiot Park
  • 2.2 miles to Point Gratiot Beach
  • 355 ft Road Frontage
  • Electric
  • Municipal water
  • Natural gas
  • GMO's convey
  • Taxes $676 (2022)

Summary

Feeds

Zillow, Lands of America

Land Type

Hunting and Recreational, Timberland

Land Details

Timber

Road Surface

Blacktop/Asphalt

Property Type

Recreational Land, Timberland, Hunting Land

Road Frontage

Township Road

Improvements/Features

Small Game, Big Game, Upland Game, Predators, Seller's Mineral Rights Convey

Land and Farm Property Types

Land - Hunting, Land - Recreational, Timberland - Natural

Other Property Details

Utilities
  • electric: onsite
  • gas: onsite
  • internet: onsite
  • cable: onsite
  • telephone: onsite
  • water: onsite
Coordinates

42.4592, -79.3842

Annual Taxes

$676

Sold Property

For more information or to see additional properties currently for sale see Paul Vaicunas's listings.

Nearby Related Properties


For Sale
$79,900 7.5 acres ±
Chautauqua County • Brocton, NY 14716
New
$49,900 6.2 acres ±
Chautauqua County • Brocton, NY 14716
Reduced
$779,900 81 acres ±
Chautauqua County • Cassadaga, NY 14718
For Sale
$539,900 40 acres ±
Chautauqua County • Forestville, NY 14062
Reduced
$679,900 38 acres ±
Chautauqua County • Forestville, NY 14062
For Sale
$724,900 143.5 acres ±
Chautauqua County • Cherry Creek, NY 14723
New
$19,900 0.85 acres ±
Chautauqua County • Sinclairville, NY 14782
For Sale
$85,000 0.48 acres ±
Cattaraugus County • Cattaraugus, NY 14719

Be Part of a Thriving Land Community!

Get the same expert advice, property strategies, and land management tips that thousands of landowners trust. Subscribe now and stay ahead in the market.